РБ 019-18 (11.05.2018) ОЦЕНКА ИСХОДНОЙ СЕЙСМИЧНОСТИ РАЙОНА И ПЛОЩАДКИ РАЗМЕЩЕНИЯ ОБЪЕКТА ИСПОЛЬЗОВАНИЯ АТОМНОЙ ЭНЕРГИИ ПРИ ИНЖЕНЕРНЫХ ИЗЫСКАНИЯХ И ИССЛЕДОВАНИЯХ
ФЕДЕРАЛЬНАЯ СЛУЖБА ПО ЭКОЛОГИЧЕСКОМУ, ТЕХНОЛОГИЧЕСКОМУ
И АТОМНОМУ НАДЗОРУ
ПРИКАЗ
от 2 марта 2018 г. N 90
ОБ УТВЕРЖДЕНИИ РУКОВОДСТВА ПО БЕЗОПАСНОСТИ ПРИ ИСПОЛЬЗОВАНИИ АТОМНОЙ ЭНЕРГИИ "ОЦЕНКА ИСХОДНОЙ СЕЙСМИЧНОСТИ РАЙОНА И ПЛОЩАДКИ РАЗМЕЩЕНИЯ ОБЪЕКТА ИСПОЛЬЗОВАНИЯ АТОМНОЙ ЭНЕРГИИ ПРИ ИНЖЕНЕРНЫХ ИЗЫСКАНИЯХ И ИССЛЕДОВАНИЯХ"
С изменениями:
(в ред. Приказа Ростехнадзора от 11.05.2018 N 208)
В целях реализации полномочий, установленных подпунктом 5.3.18 пункта 5 Положения о Федеральной службе по экологическому, технологическому и атомному надзору, утвержденного постановлением Правительства Российской Федерации от 30 июля 2004 г. N 401, приказываю:
1. Утвердить прилагаемое к настоящему приказу руководство по безопасности при использовании атомной энергии "Оценка исходной сейсмичности района и площадки размещения объекта использования атомной энергии при инженерных изысканиях и исследованиях".
2. Признать не подлежащим применению постановление Федерального надзора России по ядерной и радиационной безопасности от 28 декабря 2001 г. N 16 "Об утверждении и введении в действие руководства по безопасности "Оценка сейсмической опасности участков размещения ядерно- и радиационно опасных объектов на основании геодинамических данных".
Врио руководителя
А.Л.РЫБАС
Утверждено
приказом Федеральной службы
по экологическому, технологическому
и атомному надзору
от "__" ________ 20__ г. N ___
РУКОВОДСТВО ПО БЕЗОПАСНОСТИ ПРИ ИСПОЛЬЗОВАНИИ АТОМНОЙ ЭНЕРГИИ "ОЦЕНКА ИСХОДНОЙ СЕЙСМИЧНОСТИ РАЙОНА И ПЛОЩАДКИ РАЗМЕЩЕНИЯ ОБЪЕКТА ИСПОЛЬЗОВАНИЯ АТОМНОЙ ЭНЕРГИИ ПРИ ИНЖЕНЕРНЫХ ИЗЫСКАНИЯХ И ИССЛЕДОВАНИЯХ"
(РБ-019-18)
I. Общие положения
1. Руководство по безопасности при использовании атомной энергии "Оценка исходной сейсмичности района и площадки размещения объекта использования атомной энергии при инженерных изысканиях и исследованиях" (РБ-019-18) (далее - Руководство по безопасности) разработано в соответствии со статьей 6 Федерального закона от 21 ноября 1995 г. N 170-ФЗ "Об использовании атомной энергии" в целях содействия соблюдению требований пункта 1.2.9 федеральных норм и правил в области использования атомной энергии "Общие положения обеспечения безопасности атомных станций" (НП-001-15), утвержденных приказом Федеральной службы по экологическому, технологическому и атомному надзору от 17 декабря 2015 г. N 522 (зарегистрирован Минюстом России 2 февраля 2016 г., регистрационный N 40939); пунктов 1.2, 2.1.2, 2.1.5, 2.2, 2.4, 2.7 - 2.10, 3.1, 3.3, 4.1, 6.2 - 6.6 федеральных норм и правил в области использования атомной энергии "Учет внешних воздействий природного и техногенного происхождения на объекты использования атомной энергии" (НП-064-17), утвержденных приказом Федеральной службы по экологическому, технологическому и атомному надзору от 30 ноября 2017 г. N 514 (зарегистрирован Минюстом России 29 декабря 2017 г., регистрационный N 49461); пунктов 2.5, 3.7 и приложения N 2 федеральных норм и правил в области использования атомной энергии "Нормы проектирования сейсмостойких атомных станций" (НП-031-01), утвержденных постановлением Госатомнадзора России от 19 октября 2001 г. N 9; пунктов 3.1, 3.2, 4.1.2 федеральных норм и правил в области использования атомной энергии "Размещение атомных станций. Основные критерии и требования по обеспечению безопасности" (НП-032-01), утвержденных постановлением Госатомнадзора России от 8 ноября 2001 г. N 10; пунктов 3.9 и раздела 5 федеральных норм и правил в области использования атомной энергии "Общие положения обеспечения безопасности объектов ядерного топливного цикла (ОПБ ОЯТЦ)" (НП-016-05), утвержденных постановлением Федеральной службы по экологическому, технологическому и атомному надзору от 2 декабря 2005 г. N 11 (зарегистрировано Минюстом России 1 февраля 2006 г., регистрационный N 7433).
2. Настоящее Руководство по безопасности содержит рекомендации Федеральной службы по экологическому, технологическому и атомному надзору по объему, составу и методам инженерных изысканий и исследований для оценки исходной сейсмичности района размещения и площадки и обоснования безопасного размещения объекта использования атомной энергии с учетом детального уточнения геодинамических, сейсмотектонических и сейсмологических условий.
3. При проведении инженерных изысканий и исследований рекомендуется обосновывать минимально допустимое удаление площадки от геодинамических зон и активных разломов (потенциальных зон возможных очагов землетрясений), а также определять исходную сейсмичность района размещения и площадки объекта использования атомной энергии с учетом:
схем расположения, характеристик местных и локальных геодинамических зон и активных разломов, их взаимосвязи с зонами возможных очагов землетрясений и активными разломами региона;
протяженности, ширины и углов погружения активизированных межблоковых границ - геодинамических зон - зон возможных очагов землетрясений; при отсутствии данных об углах погружения активных разломов фундамента допускается принимать нормальное падение этих структур к поверхности;
предельно возможных за неотектонический, четвертичный и современный периоды геологического развития разрывных тектонических смещений, тектонических деформаций при растяжении, сжатии, сдвиге;
амплитуд, скоростей и градиентов скоростей новейших, четвертичных и современных дифференцированных движений (скоростей деформации);
каталогов инструментальных и исторических данных о землетрясениях района, включая палеоземлетрясения, и каталога микроземлетрясений, зарегистрированных при проведении локального сейсмологического мониторинга в районе размещения объекта использования атомной энергии;
количественной тектонофизической оценки относительной опасности разломов, базирующейся на знаниях морфологических параметров разломов и данных о природном напряженном состоянии вмещающего массива.
4. Наряду с рекомендациями по выполнению требований федеральных норм и правил в области использования атомной энергии, приведенными в данном Руководстве по безопасности, при инженерных изысканиях и исследованиях могут быть использованы иные способы (методы) при обосновании их соответствия требованиям федеральных норм и правил в области использования атомной энергии.
5. Настоящее Руководство по безопасности предназначено для применения организациями, выполняющими детальные инженерные изыскания и исследования района размещения и площадки, готовящими материалы обоснования безопасности для получения лицензии на размещение, сооружение, эксплуатацию и вывод из эксплуатации, и подразделениями Ростехнадзора, осуществляющими экспертизу материалов по обоснованию безопасности объекта использования атомной энергии.
6. Настоящее Руководство по безопасности не распространяется на сейсмическое микрорайонирование площадки объекта использования атомной энергии.
7. Перечень сокращений приведен в приложении N 1, термины и определения - в приложении N 2 настоящего Руководства по безопасности.
II. Классификация структур нарушений сплошности земной коры
8. Классификацию структур (разломов, разрывов, трещин) земной коры и их движений рекомендуется осуществлять:
по времени формирования структур: современные, активные в течение последних 100 лет; исторические, активность которых проявлялась от 100 лет до 6 тыс. лет; молодые, сформировавшиеся в течение последних 6 - 12 тыс. лет; четвертичные, возраст которых может достигать 1, 8 млн. лет; неотектонические (новейшие), сформировавшиеся за последние 35 - 40 млн. лет;
по порядку и рангу сейсмогенных структур в зависимости от их протяженности (размера) с учетом приложения N 3 настоящего Руководства по безопасности;
по типу деформаций: складчатые (пликативные) и разрывные (дизъюнктивные);
по характеру деформаций: обратимые, необратимые, растяжение, сжатие, сдвиг;
по кинематике разрывного смещения: сбросы и взбросы (включая надвиги), сдвиги, взбросо-сдвиги, сбросо-сдвиги, сдвиго-сбросы, сдвиго-взбросы, взрезы;
по скорости смещения - медленные (тектонический крип, дифференцированные горизонтальные и вертикальные смещения структурных блоков земной коры) и быстрые (сейсмогенные и импульсные).
9. Геодинамические зоны и активные разломы (потенциальные зоны ВОЗ) рекомендуется выделять по результатам инженерных изысканий и исследований, включающих геофизические, геологические, геодинамические и сейсмологические исследования.
В платформенных и активных областях, где кристаллический фундамент перекрыт толщей осадочных отложений, для выявления потенциальных зон вероятных очагов землетрясений (далее - ВОЗ) рекомендуется дополнительно использовать результаты тектонофизических исследований, позволяющих идентифицировать и дополнительно обосновывать проявление региональных активных разломов фундамента, которые не могли быть выявлены при общем сейсмическом районировании (далее - ОСР) в силу недостаточной детальности работ.
III. Критерии выделения потенциальных зон возможных очагов землетрясений
10. При выделении потенциальных зон ВОЗ рекомендуется учитывать:
проявление геодинамических зон и активных разломов в земной коре;
линейные зоны проявления дифференцированных тектонических движений (градиенты и скорости деформаций современных, четвертичных и новейших движений);
линейные зоны проявления градиентов структурных поверхностей, геофизических полей (геопотенциала, магнитного поля, скоростей распространения упругих волн) и изостатических аномалий силы тяжести;
зоны изменения мощности: осадочного чехла, земной коры, сейсмоактивного слоя;
поверхностные зоны проявления повышенной трещиноватости, увлажненности, заболоченности, изменения цвета растительности на участках развития активных разломов фундамента, перекрытого осадочной толщей.
11. В качестве критериев детального уточнения положения и параметров региональных зон ВОЗ, выделения и оценки параметров местных и локальных зон ВОЗ рекомендуется использовать:
масштабность и геодинамическую активность на неотектоническом, четвертичном этапах геологического развития местных и локальных геодинамических зон и активных разломов;
цепочки микроземлетрясений и землетрясений, установленных по результатам локального сейсмического мониторинга, проявление ощутимых и сильных землетрясений и палеоземлетрясений;
современную активность геодинамических зон и активных разломов по данным детальных режимных наблюдений методами геодезии, включая наблюдения с использованием глобальных навигационных спутниковых систем (далее - ГНСС);
наличие протяженных морфологических элементов, представленных в виде мелкоразмерных структур;
наличие протяженных газовых аномалий;
интенсивность релаксационных процессов при землетрясениях и микроземлетрясениях с оценкой величины сброса напряжений с учетом соотношения прогнозных и наблюденных графиков повторяемости магнитуд землетрясений.
12. В качестве основных параметров геодинамических зон и активных разломов, учитываемых при оценке Mmax и повторяемости землетрясений потенциальных зон ВОЗ, рекомендуется использовать:
однородность, масштабность (протяженность) и ширину зоны;
амплитуду относительных перемещений в зоне и период активизации, в течение которого накоплены эти перемещения;
скорость горизонтальных и вертикальных современных тектонических смещений по данным современных движений земной коры (далее - СДЗК) и градиент скорости неотектонических, четвертичных и современных движений земной коры (скорость деформации);
параметры сейсмической активности;
упругий предел, при достижении которого происходит хрупкое разрушение;
близость напряженного состояния к критическому, при достижении которого происходит хрупко-пластическое разрушение.
13. Оценку исходной сейсмичности района и площадки по результатам инженерных изысканий и исследований рекомендуется осуществлять с учетом:
протяженности и градиента скорости неотектонических, четвертичных движений (скорости деформации) в геодинамических зонах и активных разломах (потенциальных зонах ВОЗ);
нестационарности сейсмического режима (изменения во времени сейсмической активности и наклона графика повторяемости), определяющего зависимость между магнитудой и общим числом землетрясений (закон Гутенберга - Рихтера); несоответствия магнитуды редких событий закону Гутенберга - Рихтера и определения максимальной магнитуды Mmax местных и локальных зон ВОЗ;
максимальных магнитуд Mmax и повторяемости землетрясений местных и локальных зон ВОЗ;
скоростей СДЗК, скоростей деформаций земной поверхности, в том числе за счет дилатации горных пород. Критерии для оценки скоростей деформаций по данным наблюдений за СДЗК на основе ГНСС для различных уровней масштабности представлены в приложении N 4 настоящего Руководства по безопасности;
тектонофизических критериев потенциальной опасности разломов, включая упругий предел и близость напряженного состояния к критическому состоянию.
IV. Основные методы выделения и оценки параметров местных и локальных зон ВОЗ
14. При отсутствии представительных исторических и инструментальных данных о землетрясениях местные и локальные зоны ВОЗ рекомендуется выделять на основании геодинамических данных с учетом геолого-геофизических и тектонофизических данных.
15. При выделении зон ВОЗ рекомендуется земную кору и верхнюю мантию рассматривать как дискретно-иерархическую структуру, каждый блок которой состоит из более мелких блоков и сам, в свою очередь, является частью более крупного блока. Переход от блоков одного порядка к следующему выражается чередованием отношений их максимальных размеров, кратных 3, 3 и 3 (таблица приложения N 3 настоящего Руководства по безопасности).
Для формализованной оценки параметров сейсмического режима рекомендуется использовать модель, отражающую дискретные свойства земной коры, включая геодинамические зоны и активные разломы (потенциальные зоны ВОЗ) района и площадки размещения ОИАЭ. Модель рекомендуется характеризовать размером максимального элемента модели L1, соответствующего протяженности максимальной зоны ВОЗ в районе размещения ОИАЭ, и коэффициентом подобия kп. Коэффициент подобия kп рекомендуется определять с учетом преобладающих размеров геодинамических зон района размещения ОИАЭ, соотношения размеров очагов землетрясений и протяженности зон ВОЗ или принимать равным квадратному корню из десяти (kп ~ 3, 162) - в соответствии со вторым абзацем пункта 8 и таблицей приложения N 3 настоящего Руководства по безопасности.
16. Дискретные свойства модели рекомендуется представить в виде геометрической прогрессии, подобной экспоненциальной зависимости Гутенберга - Рихтера, описывающей распределение количества землетрясений в зависимости от магнитуды. На основе свойств геометрической прогрессии с учетом размера максимального элемента модели L1 и коэффициента подобия kп рекомендуется формализовать оценку преобладающих размеров и количества структур ранга n и более до максимального (n = 1) элемента включительно. Распределение количества элементов модели разного ранга, приведенное к одному году, характеризует кривую фрактальности размеров геодинамических зон района (или интенсивность иерархического процесса структурообразовния). Неслучайная зависимость магнитуды Mmax от протяженности зоны ВОЗ и характера разрушения позволяет на основе кривой фрактальности размеров потенциальных зон ВОЗ перейти к распределению магнитуд землетрясений для разных условий разрушения согласно рекомендациям разделов V и VII настоящего Руководства по безопасности.
17. Выявление зон ВОЗ рекомендуется выполнять по результатам инженерных изысканий и исследований и начинать с построения карт (схем) структурно-тектонических блоков земной коры и межблоковых границ тех же порядков, что и блоки района и ближнего района.
Межблоковые границы различного порядка, активизированные на неотектоническом, четвертичном и современном этапах геологического развития по аналогии с линеаментом ЛДФ-модели региональных зон ВОЗ ОСР, рекомендуется рассматривать в качестве линеаментов или геодинамических зон - потенциальных зон ВОЗ. Как и линеамент, геодинамическую зону рекомендуется рассматривать как объемное тело, имеющее длину, ширину и глубину заложения. Протяженность потенциальной зоны ВОЗ в данном случае контролируется максимальной длиной линеамента.
18. Для картирования структур разного порядка, определения их активности, изучения локальных проявлений сейсмичности и структурно-литологических особенностей очагов землетрясений рекомендуется выполнять морфоструктурный анализ.
19. Морфоструктурный анализ рекомендуется выполнять на основе результатов анализа дистанционных фото, сканерных и радиолокационных изображений (космических и воздушных, в том числе беспилотных летательных аппаратов), топографических карт, цифровых моделей стереоизображений рельефа, цифровых моделей рельефа (ЦМР) и радиолокационных и лазерных (LIDAR) данных.
С учетом результатов аэрокосмических изображений, ЦМР и лидарных съемок по данным геологического и аэрогеофизического картирования с учетом геолого-геофизической обстановки рекомендуется проводить статистический анализ малых линеаментов методами компьютерного дешифрирования с последующей геодинамической и тектонофизической интерпретацией.
При картировании рекомендуется учитывать, что при уменьшении масштаба снимков происходят качественные изменения информативности снимков. Так, при уменьшении их масштаба в 3 - 5 раз крупные структуры фундамента могут "просвечивать" сквозь толщу отложений, мощность которой превышает сотни метров.
20. Для установления соответствия различных показателей градиентных и аномальных зон с элементами каркаса структур разных порядков, образованного линеаментными зонами и системами, рекомендуется сопоставлять элементы каркаса с материалами морфодинамического дешифрирования, морфографических, морфометрических и структурно-геологических построений и определять элементы, активизированные на новейшем, четвертичном и современном этапах геологического развития. Амплитуды новейших, четвертичных и современных смещений рекомендуется усреднять в пределах отдельных блоков и определять относительные смещения смежных блоков как разницу между их средними амплитудами.
21. Исходные модели рельефа и палеорельефа рекомендуется составлять на основании описания морфологии неотектонических, четвертичных и современных форм, определения положения их границ, разделения на области поднятия и опускания и оценки степени их геодинамической активности с учетом картографических данных (морфографических, морфометрических) в сопряжении с результатами палеогеоморфологического, палеогипсометрического, палеолитологического, палеотектонического и тектонофизического анализа.
22. Разделение неоструктурных форм на поднятия (опускания), оценку поэтапных и суммарных вертикальных амплитуд новейших, четвертичных и современных движений рекомендуется осуществлять на основе анализа фациального состава, мощности отложений, деформаций циклических поверхностей и древних уровней поверхности Земли, денудационного среза глубины, пространственной локализации и поэтапного развития эрозионных врезов. Амплитуды суммарных вертикальных неотектонических и четвертичных движений допускается вычислять как разницу между современным положением поверхности выравнивания и тальвегами современной базисной поверхности гидросети с учетом колебаний уровня базиса эрозии.
23. Амплитуды сдвига в регионах с режимом горизонтального сдвига рекомендуется выявлять на основании амплитуд горизонтального смещения элементов рельефа и геофизических аномалий.
24. Инженерные изыскания и исследования территории района и площадки размещения ОИАЭ для выявления и определения характеристик геодинамических зон и активных разломов рекомендуется выполнять на топографической основе района в масштабе 1:500 000 и площадки в масштабе 1:5 000 в радиусе 300 км и 3 км от размещения ОИАЭ соответственно. В случае сложной геодинамики рекомендуется выполнять детальные инженерные изыскания и исследования территории ближнего района (пункта) в масштабе 1:50 000 в радиусе 30 км от размещения ОИАЭ.
25. При проведении морфоструктурного анализа рекомендуется определять амплитуды вертикальных движений блоков по разломам с учетом деформаций древних поверхностей выравнивания. По результатам дешифрирования аэрофотоснимков и топографических карт рекомендуется устанавливать закономерные (тренд) и случайные составляющие рельефа. По трендовой составляющей рекомендуется выделять блоковые структуры, определять знак и амплитуды подвижек блоков. Морфометрические методы также рекомендуется использовать для построения блоковых структур по иерархической структуре эрозионной сети речек, ручьев, оврагов, балок (таблица приложения N 5 настоящего Руководства по безопасности).
26. При малом перепаде высот (1 - 1, 5 м и менее) и техногенном нарушении рельефа рекомендуется использовать погребенные кровли коренных пород, разрывы и трещины, проявляющиеся на дистанционных изображениях ландшафта. При отсутствии выходов разлома на поверхность сдвиги рекомендуется выделять по данным линеаментного анализа на основе тектонофизических критериев выделения активных разломов, перекрытых толщей осадочных отложений, и определения их кинематического типа, амплитуд движений, скорости деформации и упругого предела.
27. Границы между блоками земной коры, установленные с помощью геоморфологических методов, рекомендуется уточнять с учетом геологических и геофизических данных, а также тектонофизических и структурных методов (подразумевается полевая документация и анализ трещиноватости в зонах разломов). При проведении детальных полевых работ рекомендуется использовать следующие признаки проявления активности разломов: интенсивность вариации радон-тороновых эманаций при изменении приливных деформаций земной коры, смещения пород по разрывам, зоны дробления и интенсивной трещиноватости, глинка трения, зеркала скольжения, родники, термальные воды, мелкие структурные формы, проявляющиеся вдоль протяженных линеаментов при дешифрировании аэрофотоснимков. При анализе трещиноватости рекомендуется иметь в виду, что, в отличие от максимумов планетарной трещиноватости, трещиноватость в зонах влияния активных разломов образует поясное распределение максимумов трещиноватости (метод Даниловича).
28. Для выделения активных разломов, в том числе перекрытых толщей осадочных пород, рекомендуется учитывать пространственный и временной масштабные эффекты аномального изменения скоростей и градиентов современных вертикальных и горизонтальных движений, а также скоростей деформации земной коры, установленных при высокоточном повторном нивелировании и ГНСС. При этом рекомендуется привлекать данные об интенсивности вариации радон-тороновых эманаций при изменении приливных деформаций земной коры (активные на современном этапе разломные зоны, в отличие от "залеченных" разломов, характеризуются значительными вариациями радон-тороновых эманаций в течение суток, периода обращения вокруг центра масс в системе "Земля - Луна" и т.д.).
29. При выделении зон ВОЗ и оценке их порядка рекомендуется рассматривать также гидрографические (иерархические, фрактальные) признаки.
30. Динамику современных движений (поднятие, опускание, сдвиг, кручение) рекомендуется устанавливать по результатам анализа речной сети и использовать при построении карты геодинамических зон и активных разломов.
31. Геодинамические зоны, а также линейные зоны, к которым приурочены очаги землетрясений, рекомендуется рассматривать в качестве зон ВОЗ и оценивать для них максимальные магнитуды и повторяемости землетрясений. При инженерных изысканиях и исследованиях рекомендуется определять параметры геодинамических зон (длина и ширина, амплитуда и период активизации тектонических движений, скорость деформации), осуществлять поиск признаков сейсмичности (проявления палеосейсмодислокаций и сейсмодеформаций разного типа: сейсмотектонические, сейсмогравитационные, сейсмовибрационные, сейсмогидродинамические, встряхивания и наброс).
32. Наряду с геологическими методами, для выделения зон ВОЗ и оценки их параметров рекомендуется использовать сейсмологический метод, основанный на анализе результатов локального сейсмического мониторинга и имеющихся региональных каталогов инструментальных и исторических землетрясений, включая палеоземлетрясения.
33. Для выявления зон ВОЗ, оценки для них параметров сейсмического режима и Mmax в районе и на площадке размещении ОИАЭ, контроля стабильности параметров сейсмического режима при сооружении и эксплуатации ОИАЭ рекомендуется выполнять совместный анализ результатов локального сейсмологического мониторинга и каталогов региональных инструментальных и исторических данных о землетрясениях, включая палеоземлетрясения.
Локальный сейсмологический мониторинг на участках размещения ОИАЭ в условиях высокого фона помех и низкой сейсмической активности платформенной территории рекомендуется осуществлять на основе инструментальных сейсмологических наблюдений, обеспечивающих регистрацию микроземлетрясений с магнитудой, как минимум, M = 0.
34. При выполнении инженерных изысканий и исследований района и площадки размещения ОИАЭ в пределах платформенной территории рекомендуется выявлять и оценивать характеристики зон ВОЗ с магнитудой M ≤ 4, 5. Например, при мелкофокусных (глубина очага менее 5 км) землетрясениях, плейстосейстовая область которых невелика, интенсивность может достигать 6 - 7 баллов на средних грунтах даже при небольших магнитудах (так, при магнитуде 2 и глубине очага 1 км интенсивность в эпицентре может достигать 6 баллов на средних грунтах).
35. При построении сейсмотектонической карты рекомендуется приводить к одному масштабу и сопоставлять схему геодинамических зон, составленную по геолого-геоморфологическим и дистанционным данным, и схему зон распространения признаков, характерных для проявления землетрясений с определенной Mmax и выделенных по геофизическим, геодинамическим и сейсмологическим данным. На сейсмотектонической карте рекомендуется отражать потенциальные зоны ВОЗ, магнитуды и повторяемость максимальных землетрясений.
Для оценки Mmax и повторяемости землетрясений, наряду с сейсмологическими данными, рекомендуется использовать данные о распределении количества геодинамических зон и активных разломов в зависимости от их протяженности и учитывать данные об условиях деформирования, скорости деформации и упругом пределе, при достижении которого происходят землетрясения.
36. При оценке параметров сейсмического режима района и площадки размещения ОИАЭ рекомендуется анализировать распределение плотности разломов и реальных землетрясений в пределах рассматриваемой территории, а также учитывать период представительности наблюдений для разных диапазонов магнитуд.
37. Для оценки напряженно-деформированного состояния земной коры и уточнения положения активных участков геодинамических зон, ближайших к площадке размещения ОИАЭ, рекомендуется выполнять тектонофизический анализ сейсмологических и геологических данных о разрывных смещениях для определения:
ориентации главных осей напряжений и типа напряженного состояния коры;
параметров прочности пород, упругого предела, скорости деформации и их изменения во времени и пространстве;
уровня флюидного давления в трещинно-поровом пространстве;
соотношения максимальных касательных напряжений и тектонического давления горных пород.
Дополнительно рекомендуется применять анализ гравитационных эффектов (давления вышележащей толщи горных пород, гравитационных аномалий), проводить регистрацию микроколебаний и микроимпульсов, другие исследования, позволяющие:
оценивать деформации блоков земной коры и величину сброшенных напряжений ∆σ в результате релаксационных процессов;
диагностировать напряженные участки на основе анализа релаксационных процессов;
определять структурные, деформационные и прочностные характеристики тектонических элементов, выделенных в пределах целиковых блоков земной коры и межблоковых границ различных порядков и разного уровня геодинамической активности.
38. При выделении зон ВОЗ, наряду с геолого-геофизическими, сейсмологическим и тектонофизическим методами, рекомендуется также учитывать результаты режимных геодинамических наблюдений за скоростями горизонтальных и вертикальных СДЗК на основе применения ГНСС, выявлять участки с аномально высокими модулями и скоростями деформаций земной поверхности.
V. Методы оценки магнитуды и повторяемости максимальных землетрясений в местных и локальных зонах ВОЗ
39. Магнитуду Mmax и повторяемость максимальных землетрясений района и площадки размещения ОИАЭ и потенциальных зон ВОЗ рекомендуется оценивать на основе каталогов инструментальных и исторических землетрясений района, включая палеоземлетрясения, а также результатов локального сейсмологического мониторинга. Альтернативные оценки максимальных магнитуд для разных периодов ожидания землетрясений в потенциальных зонах рекомендуется получать на основе геодинамических данных (протяженность зоны ВОЗ, неотектоническая, четвертичная и/или современная скорость деформации), согласно рекомендациям данного раздела и раздела VII настоящего Руководства по безопасности.
При проведении локального сейсмологического мониторинга на территории размещения ОИАЭ моментную магнитуду рекомендуется определять с учетом размера и среднего смещения в очаге землетрясения и микроземлетрясения. При проведении локального сейсмологического мониторинга рекомендуется обосновывать максимальный радиус представительной регистрации сейсмических событий для разных диапазонов магнитуд.
Для обоснования реальной чувствительности получаемых сейсмологических данных для территории проведения инженерных изысканий и исследований рекомендуется получать зависимости "магнитуда - расстояние" для каждого типа источников сейсмических событий (землетрясения, взрывы), зарегистрированных в радиусе 300 км.
40. Для определения Mmax и повторяемости землетрясений зон ВОЗ и рассеянной сейсмичности рекомендуется использовать графики повторяемости магнитуд землетрясений, рассчитанные с учетом результатов локального сейсмического мониторинга и региональных каталогов инструментальных и исторических землетрясений, включая палеоземлетрясения.
При оценке сейсмичности района и площадки размещения ОИАЭ, в случае детально обоснованного положения зон ВОЗ и оценки Mmax, очаги землетрясений с магнитудой Mmax рекомендуется относить к ближайшим к площадке размещения ОИАЭ структурам, способным генерировать аналогичные сейсмические события.
При отсутствии представительной сейсмологической информации для зон ВОЗ график повторяемости магнитуд Mmax рекомендуется оценивать на основе гипотезы рассеянной сейсмичности для района в целом. При этом, согласно методологии ОСР-97, рекомендуется принимать, что проявление максимального землетрясения равновероятно в любой точке рассматриваемой территории, в том числе и непосредственно под площадкой ОИАЭ.
41. Наряду с использованием традиционных графиков повторяемости землетрясений Гутенберга - Рихтера (lg Nc = a - b · M), которые, как правило, характеризуется нелинейностью в области редких сильных землетрясений, при оценке Mmax и повторяемости максимальных землетрясений в районе и на площадке размещения ОИАЭ рекомендуется использовать теорию экстремальных значений. Распределения экстремальных значений I типа (распределение Гумбеля), II типа (распределение Фрешэ) и III типа (распределение Вейбулла) рекомендуется использовать для оценки неопределенности магнитуд редких сильных землетрясений. Применение теоретических распределений экстремальных значений рекомендуется обосновывать на основании статистически представительных и достоверных данных о землетрясениях района размещения ОИАЭ.
42. При региональных исследованиях (ОСР) для оценки Mmax, согласно методу сейсмотектонических аналогий, к потенциальным зонам ВОЗ рекомендуется относить прежде всего зоны планетарных и региональных разломов (приложение N 3 к настоящему Руководству по безопасности). Территории, однотипные по строению и геодинамическому развитию на неотектоническом и четвертичном этапах геологического развития и ограниченные планетарными и региональными разломами, при ОСР-97 рекомендуется выделять в качестве региональных зон ВОЗ (или доменов ЛДФ-модели ОСР-97). Величину Mmax для домена рекомендуется принимать равной максимальной наблюденной магнитуде Mmax наб., увеличенной на приращение ∆M, величина которой, в зависимости от предполагаемого размера и геодинамической активности региональных структур, а также от периода наблюдений, может быть равна 0, 5 единицы магнитуды и более.
43. Для оценки моментной магнитуды Mmax с учетом протяженности L (км) и скорости деформации G (в год) зоны ВОЗ и произвольного периода времени ожидания tож. (лет) землетрясения в зоне ВОЗ рекомендуется использовать соотношение:
Mmax = 5, 0 + 1, 88 lg L + 0, 63 lg G + 0, 63 lg tож.. (1)
Соотношение (1) для оценки моментной магнитуды Mmax получено на основании эмпирического соотношения Ю.В. Ризниченко между сейсмическим моментом M0 и магнитудой M:
lg M0 = 15, 4 + 1, 6 M. (2)
Сейсмический момент M0 определяется согласно:
M0=μAS, (3)
где μ - модуль сдвига, Па; A - амплитуда смещения, см; S - площадь плоскости разрыва (см2) по которой происходит смещение при землетрясении.
Для срока службы объекта 50 лет моментную магнитуду Mmax рекомендуется оценивать с учетом протяженности L (км) и скорости деформации G (в год) в потенциальной зоне ВОЗ с учетом следующего соотношения:
Mmax = 6, 1 + 1, 88 lg L + 0, 63 lg G. (4)
Соотношения (1) и (4) получены для отношения максимального размера очага и протяженности зоны ВОЗ, равного ~ 1/3. Соотношение (4) для срока службы ОИАЭ получено из (1) путем увеличения свободного члена на величину 0, 63 · lg 50 с учетом срока службы ОИАЭ tож. = 50.
Прогнозные пределы изменения моментной магнитуды Mmax в зоне ВОЗ протяженностью L (км) рекомендуется оценивать с учетом характера разрушения:
при хрупком разрушении:
Mmax=5, 0+1, 88lgL+0, 63lgεy; (5)
при хрупко-пластическом разрушении:
Mmax=5, 0+1, 88lgL+0, 63lgεхп, (6)
где ε - упругий (индекс "у") или хрупко-пластический (индекс "хп") предел среды в зоне ВОЗ.
Характеристика зон ВОЗ, условий и скорости их деформирования, характера разрушения и параметров очагов землетрясений - приоритетная задача инженерных изысканий и исследований района и площадки размещения ОИАЭ.
44. Для выявления в пределах доменов ЛДФ-модели ОСР-97 местных и локальных зон ВОЗ, обоснования безопасного размещения ОИАЭ и оценки исходной сейсмичности района и площадки ОИАЭ, с учетом местных и локальных зон ВОЗ, рекомендуется проведение инженерных изысканий и исследований согласно рекомендациям раздела VI настоящего Руководства по безопасности.
На всех этапах проведения инженерных изысканий и исследований рекомендуется особое внимание уделять оценке неопределенности характеристик геодинамических зон - потенциальных зон ВОЗ, а именно их протяженности и скорости деформации и учету этих неопределенностей при определении максимальных магнитуд Mmax и повторяемости землетрясений.
VI. Инженерные изыскания и исследования района и площадки ОИАЭ
45. При инженерных изысканиях и исследованиях рекомендуется последовательное рассмотрение результатов разномасштабного изучения региона (в рамках ОСР), района (в рамках ДСР) и ближнего района (пункта) (в случае сложных геодинамических условий) и площадки размещения ОИАЭ. Рекомендуемый порядок позволяет установить взаимосвязь и подчиненность планетарных, региональных, местных и локальных зон ВОЗ, обеспечить по мере укрупнения масштабов работ повышение детальности исследований ближайших к площадке ОИАЭ структур и обосновать безопасное размещение площадки ОИАЭ и оценку исходной сейсмичности района и площадки ОИАЭ с учетом местных и локальных зон ВОЗ.
Анализ опасности региональных структур рекомендуется выполнять с учетом фондовых материалов, например, базы данных ОСР-97, а анализ потенциальной опасности местных и локальных структур - на основе рассмотрения результатов ДСР района и ближнего района (пункта) размещения ОИАЭ и площадки ОИАЭ.
46. Для обеспечения выполнения требований федеральных норм и правил в области использования атомной энергии, указанных в пункте 1 настоящего Руководства по безопасности, рекомендуется последовательно оценивать геодинамические и сейсмические воздействия от планетарных, региональных, местных и локальных зон ВОЗ.
47. Сейсмичность площадки, расположенной в зоне планетарного и/или регионального разлома, рекомендуется определять с учетом наиболее сильного землетрясения, произошедшего в зоне разлома, его минимального удаления от площадки ОИАЭ, возможности выхода разлома на поверхность, разжижения грунта, образования обвалов, оползней. Оценку влияния планетарного и/или регионального разлома на ОИАЭ рекомендуется выполнять на основе фондовых и опубликованных материалов по геологии, геоморфологии, тектонике, глубинному строению, новейшим, четвертичным и современным движениям земной коры, палеосейсмодислокациям, соляной тектонике, геофизике, сейсмологии, тектонофизического исследования палеонапряжений и результатов инженерных изысканий и исследований района и площадки размещения ОИАЭ.
Анализ фондовых материалов и результатов детальных инженерных изысканий и исследований рекомендуется отражать в пояснительных записках и представлять в виде серии карт и разрезов на основе картографических материалов по региону в масштабе 1:5 000 000 - 1:10 000 000, по району в масштабе 1:500 000, по ближнему району в масштабе 1:50 000.
48. Для района размещения и площадки ОИАЭ уточнение положения и параметров региональных структур и разломов, их связи с местными разломами во время неотектонической, четвертичной и современной активизации тектонических движений с учетом пространственно-временной масштабности эффектов, оценки Mmax зон ВОЗ и повторяемости приуроченных к ним землетрясений рекомендуется осуществлять на основе:
камеральной обработки фондовых материалов с составлением тектонической карты и карты разломов;
дешифрирования космических снимков и аэрофотоснимков;
структурно-тектонического, структурно-геоморфологического (морфотектонического) и структурно-ландшафтного дешифрирования дистанционных изображений с космических и воздушных носителей;
анализа цифровых моделей рельефа по радиолокационным и лазерным данным;
специальных тектонофизических исследований с выделением активных сдвигов и оценки их относительной активности;
результатов региональных геолого-геофизических, геодинамических и сейсмологических наблюдений, морфоструктурного анализа и тектонофизической интерпретации дешифрированных линейных линеаментов;
детального анализа данных о СДЗК на основе повторного нивелирования, интерферометрической обработки повторных радиолокационных съемок с дистанционных (космических) носителей, а также измерений на базе системы глобальной спутниковой навигации;
обследования зон региональных разломов;
геофизических, геохимических, тектонофизических и геодезических наблюдений за современной динамикой ближайших региональных разломов;
изучения новейших, четвертичных, современных движений полевыми методами, определения новейшей, четвертичной и современной активности региональных разломов, дешифрируемых в областях четвертичных движений.
Выделение и уточнение положения потенциальных зон ВОЗ района и площадки размещения ОИАЭ рекомендуется осуществлять на основе картографических материалов в масштабе 1:500 000 с учетом:
обоснования выявления всех региональных разломов района;
установления и документального обоснования времени последней активизации движений по региональным разломам;
выявления взаимосвязи морфологических параметров разломов и их кинематики с напряженным состоянием;
обоснования наличия либо отсутствия активных в четвертичном периоде и на современном этапе разломов и растущих складчатых структур;
определения параметров структур и разломов (протяженности и ширины зоны разлома, амплитуды смещений по отдельным стратиграфическим горизонтам, времени последней активизации);
установления положения площадки ОИАЭ относительно ближайших активных разломов и геодинамических зон;
данных о современном напряженном состоянии активных разломов и отдельных их участков, соответствующих наиболее опасному их состоянию.
49. Исследования геодинамических условий ближнего района и площадки размещения ОИАЭ рекомендуется проводить для территории, ограниченной радиусом 30 км, на картографических материалах в масштабе 1:50 000 для решения следующих задач:
выявления геодинамических зон и разломов, активизированных в четвертичном периоде геологического развития;
определения степени геодинамической активности геодинамических зон и разломов, активизированных в четвертичном периоде геологического развития;
выбора однородного тектонического блока, в пределах которого нет геодинамических зон и активных разломов;
оценки возможности активизации тектонических движений и выхода очага землетрясения на поверхность;
определения скоростей СДЗК и их градиентов, дилатации земной поверхности.
50. При обосновании безопасного размещения площадки в пределах тектонического блока земной коры, не нарушенного активными разломами и геодинамическими зонами, в базу данных рекомендуется включать материалы геологических фондов по геологии, тектонике, структурной геологии, геофизике, геоморфологии, новейшей, четвертичной и современной тектонике; результаты комплексной геолого-геофизической съемки; данные буровых, сейсморазведочных и других работ, материалы по выделению разломов и их характеристике по тектонофизическим критериям, а также результаты детальных изысканий и исследований ближнего района:
комплексного геологического и тектонофизического картирования, направленного на выявление древних и активных разломов;
инструментальных наблюдений за местными землетрясениями;
электроразведочного и сейсморазведочного профилирования;
бурения структурных скважин и каротажа скважин;
проходки шурфов в зонах разломов и в однородных блоках земной коры;
пересечения потенциально активных разломов канавами.
51. Состав детальных инженерных изысканий и исследований ближнего района рекомендуется обосновать в программе работ с учетом изученности рассматриваемой территории и требований нормативных документов в области использования атомной энергии по обоснованию безопасности на основании следующих данных:
принятая глубина изучения земной коры;
геологические и структурные карты по опорным горизонтам;
карты гравитационного и магнитного полей;
геолого-геофизические профили, совмещенные с графиками повторного нивелирования;
документация шурфов и траншей в зонах активных разломов, рассматриваемых как зоны развития возможных палеосейсмодислокаций;
документация тектонической трещиноватости в зонах активных разломов для установления ориентировки азимута падения, угла наклона разлома, направления и знака перемещений по разлому, его протяженности и скорости деформации;
параметры выделяемых структур, такие как длина и глубина, амплитуда вертикального и горизонтального смещений по опорным горизонтам на неотектоническом и четвертичном этапах геологического развития, скорость и градиенты скоростей СДЗК, градиенты геофизических полей;
степень газовой проницаемости, коэффициенты фильтрации, сейсмическая активность;
возможная активизация геодинамических процессов в период эксплуатации ОИАЭ, включая выход разлома на поверхность, разжижение грунта, возникновение обвалов, оползней при землетрясениях до МРЗ включительно.
52. Для обоснования отсутствия геодинамических зон и активных разломов, способных повлиять на деформации и крены оснований сооружений ОИАЭ, рекомендуется проводить детальные инженерные изыскания и исследования территории, ограниченной радиусом не менее чем 5 км, и площадки ОИАЭ на основе картографических материалов масштаба 1:5 000. В состав детальных инженерных изысканий и исследований территории размещения площадки рекомендуется включать:
комплексную геолого-геофизическую съемку;
локальные высокочувствительные сейсмологические наблюдения;
высокоточное повторное нивелирование;
повторные светодальномерные наблюдения;
магнитную и гравитационную съемки и сейсмическую разведку;
структурное бурение, каротаж скважин;
проходку шурфов и канав в зонах древних разломов, а также пересечение канавами зон линеаментов и потенциально опасных зон;
геодезические наблюдения методом повторного высокоточного нивелирования и наблюдения на основе ГНСС.
53. В пределах площадки ОИАЭ и ближнего района размещения ОИАЭ для наблюдений за СДЗК методами космической геодезии рекомендуется создавать геодинамический полигон, пункты которого располагаются во всех структурных блоках исследуемой территории. Наблюдения на пунктах геодинамического полигона рекомендуется проводить в течение временного интервала, позволяющего гарантированно утверждать, что зарегистрированные параметры СДЗК не являются ошибками наблюдений.
При интерпретации результатов ГНСС рекомендуется учитывать пространственно-временные масштабные эффекты (приложение N 4 к настоящему Руководству по безопасности) и критерии, которые позволяют сравнить результаты с данными геологических методов, имеющих значительно больший временной интервал осреднения.
54. В результате проведения детальных инженерных изысканий и исследований территории размещения площадки рекомендуется составлять:
геологическую карту и структурные карты осадочного чехла и поверхности кристаллического либо складчатого фундамента;
карту магнитного поля, карту гравитационного поля, геолого-геофизические профили;
каталоги и карты микроземлетрясений и землетрясений, а также зарегистрированных техногенных событий (например, карьерных и шахтных взрывов) ближнего района и района размещения ОИАЭ;
карты скоростей, градиентов скоростей СДЗК, карты скоростей деформаций и дилатации земной поверхности;
карту активных разломов, выявленных структурно-морфологическим методом, с характеристиками их относительной активности и с возможностью оценки величин тектонических напряжений, а также документацию траншей в зонах разломов.
55. В результате проведения детальных инженерных изысканий и исследований территории размещения площадки рекомендуется:
создавать базу данных, включая: материалы инженерно-геологического и гидрогеологического бурения, результаты комплексных работ по определению структур и разломов и оценку их возможной активности, результаты высокочувствительного локального сейсмического мониторинга в районе и на площадке;
выполнять совместный анализ результатов локальных сейсмологических наблюдений с данными каталогов инструментальных, исторических землетрясений и палеоземлетрясений района;
при анализе сейсмологических данных устанавливать и учитывать представительный период наблюдений региональных данных о землетрясениях и максимальный радиус представительной регистрации землетрясений сетью локального сейсмического мониторинга для разных диапазонов магнитуд;
обосновывать размещение ОИАЭ в пределах блоков земной коры, не нарушенных активными разломами и геодинамическими зонами, вдали от потенциально опасных структур, воздействия от которых могут превысить воздействия, принятые в проекте;
прогнозировать возможность активизации поверхностных тектонических движений при землетрясениях до МРЗ включительно.
56. На выбранной площадке размещения ОИАЭ рекомендуется уточнять тектоническое строение по результатам документации котлованов, траншей и других выработок, проводить комплексные режимные наблюдения и дополнительные геодинамические исследования. На участках размещения всех сооружений ОИАЭ рекомендуется проводить инженерные изыскания и исследования на основе картографических материалов в масштабе 1:200 - 1:500. В материалах инженерных изысканий и исследований рекомендуется приводить документацию стенок и днищ всех котлованов и траншей с геодезической привязкой.
57. Для оценки возможности активизации процессов, явлений и факторов I и II степени опасности в районе размещения ОИАЭ и на площадке ОИАЭ рекомендуется оперативно анализировать результаты локальных мониторинговых (охранных) наблюдений. На территории размещения ОИАЭ I и II категории ответственности за радиационную безопасность рекомендуется выполнять геодинамический мониторинг тектонических движений на специализированных геодинамических полигонах и высокочувствительный локальный сейсмический мониторинг (с использованием методологии сейсмических групп, плотных сетей или существенного заглубления станций).
58. Комплекс инженерных изысканий и исследований района размещения ОИАЭ и площадки ОИАЭ и методики работ рекомендуется обосновывать в программе работ с учетом геологических, инженерно-геологических, тектонических, сейсмических условий исследуемого района, истории его геологического развития и изученности.
К основным показателям, влияющим на выбор рационального комплекса методов инженерных изысканий и исследований, рекомендуется относить:
информативность метода по отношению к решаемой задаче в конкретных геологических, инженерно-геологических, тектонических и сейсмических условиях района;
возможность оценки неопределенности получаемых результатов;
возможность получения оценок тех же критериев альтернативными методами с меньшей стоимостью и трудозатратами; наличие сведений о верификации авторских методик.
VII. Оценка прогнозных пределов графиков повторяемости по геодинамическим и сейсмотектоническим данным
59. Для активных областей и слабоактивных платформенных территорий при оценке природы землетрясений, условий их подготовки и проявления рекомендуется на основании модели, отражающей дискретные свойства земной коры, зон ВОЗ и очагов землетрясений, выполнять оценку прогнозных пределов и прогнозных графиков повторяемости землетрясений на основании геодинамических и сейсмотектонических данных. Дискретные свойства модели рекомендуется описывать свойствами геометрической прогрессии, подобной экспоненциальной зависимости закона Гутенберга - Рихтера. При выполнении расчетов рекомендуется учитывать масштабность, структуру, условия деформирования, геодинамическую активность (минимальную и максимальную скорость деформации) рассматриваемой территории и характер разрушения в очаге.
60. Для расчета прогнозных пределов и прогнозных графиков повторяемости магнитуд на основании геологических и сейсмотектонических данных, с учетом приложения N 6 к настоящему Руководству по безопасности, рекомендуется выполнять:
анализ геологических, геодинамических и сейсмических условий рассматриваемой территории для обоснования применимости модели, отражающей дискретные свойства земной коры, зон ВОЗ и очагов для рассматриваемого района;
определение основных параметров модели, включая максимальный размер элемента модели L1, соответствующий протяженности максимальной зоны ВОЗ, и коэффициент подобия kп;
определение условий деформирования и скорости деформирования (минимальной и максимальной) в рассматриваемом районе, G (в год);
оценку упругого и хрупко-пластического предела, характеризующего тип очага (характера разрушения в очаге);
оценку размеров элементов модели разного ранга, отражающих преобладающие размеры структур рассматриваемой территории соответствующего ранга;
формализованную оценку суммарного количества Nc элементов ранга n до максимального (n = 1) включительно;
приведение суммарного количества элементов Nc, вычисленных для разных условий деформирования, к одному году с учетом периода подготовки максимального землетрясения Tmax в максимальной зоне ВОЗ для определения прогнозных кривых фрактальности рассматриваемого района;
определение прогнозных пределов и прогнозных графиков повторяемости магнитуд на основе прогнозных кривых фрактальности района, рассчитанных для разных условий и скорости деформирования, хрупкого или хрупко-пластического разрушения;
совместный анализ прогнозных пределов и прогнозных графиков повторяемости магнитуд с графиками повторяемости магнитуд, рассчитанными с учетом инструментальных и исторических данных о землетрясениях, включая палеоземлетрясения и микроземлетрясения (далее - наблюденные графики);
сравнение прогнозных пределов и прогнозных графиков повторяемости с наблюденными графиками, приведенными к 1 году и к единичной площади, например, площади рассматриваемого района. Приведение количества наблюденных землетрясений к площади рассматриваемого района рекомендуется выполнять с учетом соотношения площади рассматриваемого района и площади наблюдения землетрясений;
оценку наблюденных графиков повторяемости с учетом периода представительности наблюдения региональных данных о землетрясениях и максимального радиуса регистрации землетрясений и микроземлетрясений локальной сейсмической сетью для разных диапазонов магнитуд;
обоснование природы землетрясений и определение физически обоснованного предела величины Mmax в области редких событий с учетом нелинейности графиков повторяемости;
подготовку на основании гипотезы рассеянной сейсмичности исходных данных для проведения вероятностного анализа безопасности, согласно требованиям пункта 1.2.9 НП-001-15, для района размещения ОИАЭ в целом и площадки ОИАЭ и выборки исходных данных о землетрясениях, приуроченных к зонам ВОЗ района, в отдельности.
61. Для оценки сейсмичности площадки для средних грунтовых условий (грунты II категории по сейсмическим свойствам), в соответствии с рекомендациями руководства по безопасности "Определение исходных сейсмических колебаний грунта для проектных основ" (РБ-006-98), утвержденному постановлением Госатомнадзора России от 29 декабря 1998 г. N 3, рекомендуется использовать формулу Блейка - Шебалина:
Iпл = a · M - b lg(D2 + H2)1/2 + c, (7)
где: Iпл - интенсивность сотрясений на средних грунтах площадки, балл; M - магнитуда; D - минимальное удаление зоны ВОЗ от площадки, км; H - наиболее вероятная глубина очага, км; a, b, c - коэффициенты уравнения макросейсмического поля, которые рекомендуется уточнять для каждого района с учетом анализа последствий ощутимых и сильных землетрясений.
При отсутствии статистически представительных данных о последствиях ощутимых и сильных землетрясений допускается использовать следующие эмпирические зависимости:
для землетрясений в земной коре:
Iпл = 1, 5 · M - 3, 5 · lg(D2 + H2)1/2 + 3; (8)
для землетрясений в зоне Вранча:
Iпл = 1, 5 · M - 4, 5 · lg(D2 + H2)1/2 + 7. (9)
62. При оценке динамических воздействий (ускорений, обобщенных спектров реакции и соответствующих им синтезированных акселерограмм) рекомендуется учитывать максимальную магнитуду Mmax в зоне ВОЗ, минимальное удаление зоны ВОЗ от площадки ОИАЭ или нормативно регламентируемые стандартные сейсмические воздействия для соответствующей сейсмичности площадки.
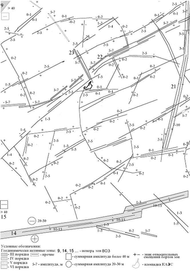
63. Пример обоснования безопасного размещения, оценки исходной сейсмичности района и площадки и получения прогнозных графиков повторяемости магнитуд землетрясений для площадки Калининской АЭС рассмотрен в приложении N 7 настоящего Руководства по безопасности.
Приложение N 1
к руководству по безопасности
при использовании атомной энергии
"Оценка исходной сейсмичности района
и площадки размещения объекта
использования атомной энергии
при инженерных изысканиях
и исследованиях", утвержденному
приказом Федеральной службы
по экологическому, технологическому
и атомному надзору
от "__" __________ 20__ г. N ____
ПЕРЕЧЕНЬ СОКРАЩЕНИЙ
|
АЭС |
- |
атомная электрическая станция |
|
ВОЗ |
- |
возможный очаг землетрясения |
|
ГНСС |
- |
глобальные навигационные спутниковые системы GPS/ГЛОНАСС |
|
ДСР |
- |
детальное сейсмическое районирование |
|
ЛДФ |
- |
линеаментно-доменно-фокальная модель зон возникновения очагов землетрясений |
|
M |
- |
магнитуда землетрясения |
|
Mmax |
- |
максимальная магнитуда землетрясения |
|
Mmax наб. |
- |
максимальная наблюденная магнитуда землетрясения |
|
M0 |
- |
сейсмический момент |
|
МРЗ |
- |
максимальное расчетное землетрясение |
|
MSK-64 |
- |
шкала сейсмической интенсивности Медведева - Шпонхойера - Карника |
|
ОИАЭ |
- |
ядерно- и радиационно опасный объект (ядерные установки, радиационные источники, пункты хранения и захоронения ядерных материалов, радиоактивных веществ и радиоактивных отходов) |
|
ОПБ ОЯТЦ |
- |
общие положения безопасности объектов ядерно-топливного цикла |
|
ОСР |
- |
общее сейсмическое районирование |
|
ОСР-97 |
- |
комплект карт общего сейсмического районирования территории Российской Федерации (графический масштаб 1:8 000 000, электронный масштаб 1:2 500 000); комплект карт позволяет обеспечить одинаковую степень инженерного риска на всей территории страны и предназначен для осуществления антисейсмических мероприятий при строительстве объектов трех разных категорий (A, B, C) ответственности и сроков службы |
|
ОСР-97 A |
- |
карта расчетной сейсмической интенсивности в баллах по шкале MSK-64 для средних грунтовых условий и 10%-ной степени сейсмической опасности в течение 50-ти лет (средний период повторяемости сотрясений один раз в 500 лет) |
|
ОСР-97 B |
- |
карта расчетной сейсмической интенсивности в баллах по шкале MSK-64 для средних грунтовых условий и 5%-ной вероятности превышения в течение 50-ти лет (средний период повторяемости сотрясений один раз в 1 000 лет) |
|
ОСР-97 C |
- |
карта расчетной сейсмической интенсивности в баллах по шкале MSK-64 для средних грунтовых условий и 1%-ной вероятности превышения в течение 50-ти лет (средний период повторяемости сотрясений один раз в 5 000 лет) |
|
ОСР-97 D |
- |
карта расчетной сейсмической интенсивности в баллах по шкале MSK-64 для средних грунтовых условий и 0, 5%-ной вероятности превышения в течение 50-ти лет (средний период повторяемости сотрясений один раз в 10 000 лет) |
|
ПЗ |
- |
проектное землетрясение |
|
СДЗК |
- |
современные движения земной коры |
|
УСТУ |
- |
уточнение структурно-тектонических условий |
Приложение N 2
к руководству по безопасности
при использовании атомной энергии
"Оценка исходной сейсмичности района
и площадки размещения объекта
использования атомной энергии
при инженерных изысканиях
и исследованиях", утвержденному
приказом Федеральной службы
по экологическому, технологическому
и атомному надзору
от "__" __________ 20__ г. N ____
ТЕРМИНЫ И ОПРЕДЕЛЕНИЯ
В настоящем Руководстве по безопасности используются следующие термины и определения.
1. Балльность - интенсивность сейсмических воздействий в баллах по шкале MSK-64.
2. Блок тектонический - структура земной коры, не нарушенная геодинамическими зонами и активными разломами.
3. Геодинамическая зона - межблоковая граница, в пределах которой на неотектоническом, четвертичном и современном этапах геологического развития выявлен широкий спектр проявлений эндогенных (в том числе тектонической активности и землетрясений) и экзогенных процессов. Разломы, вне зависимости от их масштабности и активности, могут быть частью геодинамической зоны.
4. Градиент скорости тектонических движений (скорость деформации) - отношение амплитуды тектонического перемещения маркирующей поверхности в геодинамической зоне к ширине зоны и времени последней активизации, в год.
5. Дилатация - относительное изменение элементарного объема верхней части земной коры.
6. Зона ВОЗ - геодинамическая зона и/или активный разлом, к которым могут быть приурочены очаги землетрясений. Зоны ВОЗ подразделяются на региональные (линеаменты, домены и очаги землетрясений ЛДФ-модели ОСР-97), местные и локальные зоны ВОЗ, устанавливаемые при проведении детальных инженерных изысканий и исследований в районе и ближнем районе (пункте) размещения ОИАЭ.
7. Линеамент - линейная зона естественной (природной) локализации однородных и парагенетически взаимосвязанных черт рельефа, почвенно-растительного покрова, поверхностных и скрытых (глубинных) дизъюнктивных и пликативных дислокаций, геофизических и геохимических полей.
8. Максимальное расчетное землетрясение - землетрясение максимальной интенсивности на площадке ОИАЭ с вероятностью возникновения на интервале в один год 10-4.
9. Площадка ОИАЭ - территория в пределах охраняемого периметра, где размещаются основные и вспомогательные здания и сооружения ОИАЭ.
10. Проектное землетрясение - землетрясение максимальной интенсивности на площадке ОИАЭ с вероятностью возникновения на интервале в один год 10-3.
11. Разлом - нарушение сплошности пород.
12. Разлом активный - тектоническое нарушение с признаками постоянных или периодических перемещений бортов разлома в четвертичный период геологического развития (за последний 1 000 000 лет), величина (скорость) которых такова, что она представляет опасность для сооружений и требует специальных конструктивных и/или компоновочных мероприятий для обеспечения их безопасности.
13. Сейсмическая активность - число землетрясений с магнитудой M и более в единицу времени на единицу площади.
14. Сейсмичность района (площадки) - максимальная интенсивность землетрясений в баллах по шкале MSK-64 района (площадки) для нормативной повторяемости сотрясений.
Приложение N 3
к руководству по безопасности
при использовании атомной энергии
"Оценка исходной сейсмичности района
и площадки размещения объекта
использования атомной энергии
при инженерных изысканиях
и исследованиях", утвержденному
приказом Федеральной службы
по экологическому, технологическому
и атомному надзору
от "__" __________ 20__ г. N ____
ПОРЯДОК, РАНГ И ПРОТЯЖЕННОСТЬ СЕЙСМОГЕННЫХ СТРУКТУР, МАСШТАБ ИССЛЕДОВАНИЙ И ВИДЫ РАБОТ ПО УТОЧНЕНИЮ ГЕОДИНАМИЧЕСКИХ И СЕЙСМИЧЕСКИХ УСЛОВИЙ ПЛОЩАДКИ ОБЪЕКТА ИСПОЛЬЗОВАНИЯ АТОМНОЙ ЭНЕРГИИ
|
Масштабность структуры |
Порядок |
Ранг |
Протяженность, км |
Масштаб исследований |
Виды работ |
|
Планетарная |
XVIII |
1 |
10 000 ÷ 20 000 |
1:50 000 000 |
ОСР |
|
XVII |
2 |
3 000 ÷ 6 000 |
1:50 000 000 |
ОСР | |
|
Региональная |
XVI |
3 |
1 000 ÷ 2 000 |
1:5 000 000, 1:500 000 |
ОСР |
|
Местная |
XV |
4 |
300 ÷ 600 |
1:500 000 |
ДСР |
|
XIV |
5 |
100 ÷ 200 |
1:500 000 |
ДСР | |
|
XIII |
6 |
30 ÷ 60 |
1:500 000, 1:50 000 |
ДСР, УСТУ | |
|
Местная, локальная |
XII |
7 |
10 ÷ 20 |
1:50 000 |
УСТУ |
|
Локальная |
XI |
8 |
3 ÷ 6 |
1:50 000 |
УСТУ |
|
X |
9 |
1 ÷ 2 |
1:50 000 |
УСТУ |
Примечание. Планетарная - структура, разделяющая литосферные плиты; региональная - крупнейшая структура в пределах литосферной плиты; местная - наиболее крупная структура в пределах регионального блока земной коры; локальная - наиболее крупная структура в пределах местного блока земной коры.
Приложение N 4
к руководству по безопасности
при использовании атомной энергии
"Оценка исходной сейсмичности района
и площадки размещения объекта
использования атомной энергии
при инженерных изысканиях
и исследованиях", утвержденному
приказом Федеральной службы
по экологическому, технологическому
и атомному надзору
от "__" __________ 20__ г. N ____
КРИТЕРИИ ДЛЯ ОЦЕНКИ СКОРОСТЕЙ ДЕФОРМАЦИЙ ПО ДАННЫМ НАБЛЮДЕНИЙ ЗА СОВРЕМЕННЫМИ ДВИЖЕНИЯМИ ЗЕМНОЙ КОРЫ НА ОСНОВЕ ДАННЫХ ГЛОБАЛЬНЫХ НАВИГАЦИОННЫХ СПУТНИКОВЫХ СИСТЕМ GPS/ГЛОНАСС

Рис. 1. Распределение модулей скоростей предельных горизонтальных деформаций в зависимости от расстояния между пунктами наблюдений
Критерии для оценки предельной величины скорости деформации земной коры по данным наблюдений за СДЗК на основе ГНСС на различных масштабных уровнях приведены в таблице.
Критерии оценки предельной величины скорости деформации
|
Исследуемая территория |
Размеры базы наблюдений, м |
Скорость деформации, год-1 |
|
Район |
L3 = 3 · 104 ÷ 5 · 104 м |
|ε3| = 10-6 ÷ 3 · 10-7 |
|
Площадка |
L2 = 3 · 103 ÷ 104 м |
|ε2| = 10-5 ÷ 5 · 10-6 |
|
Приконтурная часть массива |
L1 = 1 ÷ 102 м |
|ε1| = 10-3 ÷ 10-4 |
Примечание. Модули скоростей медленных горизонтальных деформаций, превышение которых может вызвать разрушение пород верхней части земной коры, определяют скорости предельных горизонтальных деформаций по данным ГНСС.
Приложение N 5
к руководству по безопасности
при использовании атомной энергии
"Оценка исходной сейсмичности района
и площадки размещения объекта
использования атомной энергии
при инженерных изысканиях
и исследованиях", утвержденному
приказом Федеральной службы
по экологическому, технологическому
и атомному надзору
от "__" __________ 20__ г. N ____
МОРФОМЕТРИЧЕСКИЕ МЕТОДЫ ПОСТРОЕНИЯ БЛОКОВЫХ СТРУКТУР ПО ИЕРАРХИЧЕСКОЙ СТРУКТУРЕ ЭРОЗИОННОЙ СЕТИ РЕЧЕК, РУЧЬЕВ, ОВРАГОВ, БАЛОК
|
Наименование метода |
Область применения |
|
Базисных поверхностей Вершинных поверхностей Остаточного рельефа |
Изучение связей между свойствами морфометрических поверхностей и динамическими характеристиками структур земной коры без учета развития |
|
Поэтапных реконструкций эрозионного вреза (базиса эрозии) и оценки денудационного среза |
Установление и изучение связей процесса развития рельефа с движениями земной коры и с другими процессами |
|
Асимметрии форм рельефа, иерархии, глубины, густоты и ориентировки эрозионных врезов, фрактальной структуры водотоков и речных бассейнов |
Специальные морфометрические методы для решения вопросов выявления и определения характеристик блоковой структуры и межблоковых зон |
Приложение N 6
к руководству по безопасности
при использовании атомной энергии
"Оценка исходной сейсмичности района
и площадки размещения объекта
использования атомной энергии
при инженерных изысканиях
и исследованиях", утвержденному
приказом Федеральной службы
по экологическому, технологическому
и атомному надзору
от "__" __________ 20__ г. N ____
ПОСЛЕДОВАТЕЛЬНОСТЬ РАСЧЕТА ПРОГНОЗНЫХ ПРЕДЕЛОВ И ПРОГНОЗНЫХ ГРАФИКОВ ПОВТОРЯЕМОСТИ МАГНИТУД НА ОСНОВАНИИ ГЕОДИНАМИЧЕСКИХ, СЕЙСМОТЕКТОНИЧЕСКИХ И СЕЙСМОЛОГИЧЕСКИХ ДАННЫХ
1. Определить масштабность рассматриваемой территории: регион, район, ближний район, окрестности площадки, площадка и принять соответствующую модель, отражающую дискретные свойства земной коры, активных разломов, потенциальных зон ВОЗ и очагов землетрясений согласно пункту 15 настоящего Руководства по безопасности.
2. Выполнить анализ структур рассматриваемой территории и оценить интенсивность иерархического процесса структурообразования и деформирования элементов модели с учетом размеров активных разломов, геодинамических зон, потенциальных зон ВОЗ и очагов землетрясений (при наличии соответствующей информации). Размер максимального элемента модели L1 (км) рекомендуется принимать с учетом протяженности максимальной зоны ВОЗ района. Размер L1 (км) и коэффициент подобия kп - основные характеристики модели, отражающей структурные свойства района размещения и площадки ОИАЭ, позволяющие формализовать оценки эффективных размеров составных элементов модели (или сейсмогенных структур района) и их кумулятивного количества для оценки прогнозных пределов и прогнозных графиков повторяемости магнитуд в зависимости от условий деформирования (всестороннее, одноосное), упругого предела или хрупко-пластического предела, минимальной и/или максимальной скорости деформации.
При отсутствии статистически представительных данных о структурах (зонах ВОЗ) коэффициент подобия рекомендуется принимать равным квадратному корню из десяти kп ~ 3, 16, что не противоречит таблице приложения N 3 к настоящему Руководству по безопасности.
3. Определить условия деформирования:
всестороннее деформирование, как правило, определяется влиянием регионального поля эндогенных напряжений, при котором в процесс деформирования вовлекаются все сейсмогенные структуры района (все элементы модели) независимо от их пространственного положения;
одноосное деформирование, как правило, определяется влиянием тектонических сил и локальной реакцией поля напряжений, при котором в процесс деформирования вовлекается лишь часть структур района (часть элементов модели), нормальных (или близких к нормали) к действию тектонических сил.
4. Определить долговременные минимальные и максимальные скорости деформации среды G (в год) в районе и на площадке размещения ОИАЭ. Рекомендуется учитывать, что в земной коре скорость неотектонической деформации крупномасшабных тел изменяется в пределах от 10-9 до 10-5 в год, в активных областях - от 5 · 10-8 до 2 · 10-7 в год, а в пределах слабоактивных территорий - от 1 · 10-9 до 2 · 10-8 в год. При сокращении периода наблюдений скорость деформации, как правило, возрастает. Так, согласно пункту 13 и приложению N 4 к данному Руководству по безопасности по результатам геодезических наблюдений максимальные скорости современных деформаций в зависимости от масштабности процессов изменяются от 10-8 до 10-3 в год.
5. Согласно сейсмотектоническим данным диапазон изменения деформаций в очагах землетрясений и соотношения сейсмической энергии Es и сейсмического момента M0 в широком диапазоне размеров очагов и моментных магнитуд изменяются от 10-7 до 10-3. С учетом результатов анализа деформаций в очагах землетрясений для Земли в целом и ее составных элементов, независимо от их размера, рекомендуется принимать упругий предел εy ~ 3 · 10-5.
6. Для рассматриваемой территории рекомендуется с учетом размера L1 максимального элемента модели и коэффициента подобия kп на основе свойств геометрической прогрессии, описывающей дискретные свойства модели, формализовать оценку:
преобладающих размеров структур разного ранга согласно соотношению:
lg L(n) = lg L1 - d(n - 1), (1)
где: L1 и L(n) - размер максимальной структуры района и размер n-й составной структуры "модели", км; d - разность арифметической прогрессии, равная ~ 0, 5 (десятичный логарифм коэффициента подобия kп); n - ранг составного элемента модели. Ранг изменяется i = 1, 2, 3, ... до n, где i = 1 ранг максимального элемента модели, а n - ранг элемента минимального размера, значимого для оценки сейсмической опасности;
суммарное количество элементов Nc ранга n и более, включая максимальный элемент модели (n = 1), рекомендуется определять с учетом соотношения:
Nc = b1 · (зi - 1) / (з - 1), (2)
где: Nc - суммарное количество элементов модели ранга n и более до максимального включительно; коэффициент b = 1; з - знаменатель геометрической прогрессии; i - ранг элемента модели (соответствующей структуры рассматриваемой территории), i = 1, 2, 3, 4, ... Суммарное количество активизированных элементов модели определяется знаменателем геометрической прогрессии, величина которого зависит от условий деформирования: при одноосном деформировании знаменатель геометрической прогрессии равен коэффициенту подобия kп, а при всестороннем деформировании - kп2.
7. Время подготовки максимального землетрясения Tmax (лет) на максимальном элементе модели L1 рекомендуется определять с учетом соотношения упругого предела и скорости деформации G (в год), а повторяемость землетрясений на составных элементах модели ранга n - с учетом отношения Tmax к количеству составных элементов Nc ранга n и более. Интенсивность структурообразования элементов модели разного ранга рекомендуется определять как отношение количества составных элементов модели Nc ко времени подготовки максимального землетрясения Tmax на максимальном элементе модели (или на максимальной структуре района и площадке размещения ОИАЭ).
8. При обосновании безопасного размещения и эксплуатации ОИАЭ по геодинамическим, сейсмотектоническим и сейсмологическим данным рекомендуется иметь в виду, что интенсивность иерархического процесса структурообразования разного ранга, упругий предел, условия деформирования и скорость деформации изменяются во времени и пространстве с изменением напряженно-деформированного состояния среды под действием эндогенных и тектонических сил. При одноосном деформировании уменьшается количество элементов, вовлеченных в геодинамический и сейсмический процесс, но возрастает скорость деформации в результате уменьшения ширины зоны деформирования (ширины зоны ВОЗ). При возникновении в зоне ВОЗ "спаек" и "зацепов", в зоне их влияния возможно уменьшение величины упругого предела за счет упрочения и консолидации среды и увеличение скорости деформации за счет уплотнения слабых прослоек в межблоковом пространстве.
9. Прогнозные пределы и прогнозные графики повторяемости землетрясений рекомендуется получать на основании прогнозных кривых фрактальности. Кривые фрактальности определяются нормированием количества элементов Nc, определяемых соотношением (2) настоящего приложения, на период Tmax - пункт 7 настоящего приложения (приведение количества потенциальных сейсмогенных событий в районе к одному году). На основе прогнозных кривых фрактальности района и неслучайной зависимости Mmax от размера элемента модели ранга n (соотношения (7) и (8) раздела V настоящего Руководства по безопасности), условий деформирования и типа (хрупкое или хрупко-пластическое) разрушения рассчитываются прогнозные пределы и прогнозные графики повторяемости землетрясений. Достоверность оценки прогнозных кривых фрактальности рекомендуется контролировать кривой фрактальности размеров потенциальных зон ВОЗ (и/или активных разломов) рассматриваемого района размещения ОИАЭ, нормированной на период активизации геодинамического процесса. Повторяемость землетрясений разных диапазонов магнитуд определяется масштабностью модели, максимальным размером структуры рассматриваемой территории, коэффициентом подобия kп, интенсивностью иерархического процесса структурообразования и деформирования элементов модели (или проявления очагов в зонах ВОЗ), зависящего от условий деформирования, упругого предела и скорости деформации. Величина Mmax определяется размером (рангом) элемента модели (или протяженностью потенциальной зоны ВОЗ соответствующего ранга) и характера разрушения (хрупкого или хрупко-пластического). Для условий хрупкого разрушения при расчете рекомендуется учитывать упругий предел εy ~ 3 · 10-5 (эффективный упругий предел для Земли в целом), а для условий хрупко-пластического разрушения - учитывать хрупко-пластический предел, величина которого определяется соотношением:
lgεхп=-0, 5·lgL-2, 75, (3)
где L - размер элемента модели (или зоны ВОЗ), км.
Данное соотношение получено согласно эмпирическим данным с учетом соотношения размера структуры и максимального размера, приуроченного к данной структуре очага землетрясения, равного коэффициенту подобия kп. Рекомендуется иметь в виду, что размер очага землетрясения может изменяться в пределах от ~ 1/3 до ~ 1/32 протяженности зоны ВОЗ, при этом преобладающий размер очага равен 1/10 протяженности зоны ВОЗ.
Достоверность оценки прогнозных пределов графиков повторяемости рекомендуется контролировать наблюденными графиками повторяемости, рассчитанными с учетом имеющихся достоверных данных о землетрясениях района размещения ОИАЭ.
10. Прогнозные пределы и прогнозные графики повторяемости магнитуд для района размещения ОИАЭ рекомендуется выполнять для условий всестороннего и одноосного деформирования с учетом минимальной Gмин (в год) и максимальной Gmax (в год) скорости деформации, хрупко-пластического предела и максимального ~ 10-3, и эффективного ~ 3 · 10-5 упругого предела соответственно.
Для условий всестороннего деформирования максимальный период Tmax подготовки максимального землетрясения рекомендуется определять с учетом отношения максимального упругого предела eмах = 10-3 к минимальной скорости деформации Gмин, полученные результаты рекомендуется использовать при оценке долгосрочной сейсмической опасности.
Для условий одноосного деформирования минимальный период Tмин подготовки максимального землетрясения рекомендуется определять с учетом отношения эффективного упругого предела eу = 3 · 10-5 к максимальной скорости деформации Gmax (в год), полученные результаты рекомендуется использовать при оценке текущей сейсмической опасности.
Минимальный период подготовки катастрофического землетрясения рекомендуется определять с учетом отношения минимального упругого предела eу ~ 3 · 10-7 к максимальной скорости деформации Gmax (в год).
11. Изменение напряженно-деформированного состояния среды района и площадки размещения ОИАЭ в пространстве и во времени может приводить к изменению величины упругого предела и скорости деформации. Для достижения лучшего сходства прогнозных пределов и прогнозных графиков повторяемости землетрясений с фрагментами наблюденных графиков повторяемости магнитуд, полученных по достоверным, хотя и статистически непредставительным данным о современных и исторических землетрясениях, рекомендуется осуществлять подбор величин упругого предела и/или скорости деформации, соответствующих условиям проявления реальных землетрясений.
12. При оценке графиков повторяемости магнитуд в выборку данных включаются сейсмические события от источников, сформировавшихся и проявившихся в различных условиях напряженно-деформированного состояния среды, разной масштабности и характера разрушения. В конечном итоге это определяет нелинейность графиков повторяемости магнитуд, рассчитанных на основании инструментальных и исторических данных о землетрясениях района, включая палеоземлетрясения, и микроземлетрясениях (по данным локального сейсмического мониторинга). При совместном анализе прогнозных и наблюденных данных рекомендуется объяснять природу нелинейности наблюденных графиков повторяемости, условия подготовки и проявления землетрясений и принимать физически обоснованные пределы величины Mmax в области редких событий, где из-за ограниченности роста сейсмической энергии с ростом размера очага график повторяемости "в хвосте" отличается от классического закона Гутенберга - Рихтера.
13. При хрупко-пластическом разрушении в очаге для оценки наиболее вероятной магнитуды Mв, в зависимости от размера зоны ВОЗ L (км), рекомендуется использовать соотношение: Mв = lg L + 5, 0, а для оценки предельной магнитуды Mпр - соотношение: Mпр = 0, 5 · lg L + 6, 75. Согласно эмпирическим сейсмотектоническим данным величина Mпр контролирует максимально возможную магнитуду землетрясения для зон ВОЗ разной протяженности.
Данные зависимости получены с учетом соотношения протяженности зоны ВОЗ и максимального размера очага, приуроченного к данной зоне, равного коэффициенту подобия kп, и их рекомендуется использовать, как правило, при оценке прогнозных пределов для условий всестороннего деформирования.
14. На основании анализа генеральной совокупности сейсмотектонических данных о рассеянии магнитуд и параметров (размер, амплитуда подвижки и деформация) очага и сейсмогенных дислокаций также получены эмпирические зависимости для оценки магнитуды M с учетом протяженности зоны ВОЗ Lз (км) и упругого предела. Применительно к задачам безопасного размещения и эксплуатации ОИАЭ рекомендуется учитывать два упругих предела eэф ~ 3 · 10-5 и emax = 10-3, контролирующих диапазон возможного изменения Mmax при прочих равных условиях:
для эффективного упругого предела eэф ~ 3 · 10-5:
Mmax = 1, 5lg Lз + 3, 25 (4)
и для максимального упругого предела emax = 10-3:
Mmax = 1, 5lg Lз + 4, 25. (5)
Эти эмпирические зависимости также получены с учетом отношения протяженности зоны ВОЗ к максимальному размеру очага, равного коэффициенту подобия kп ~ 3, 2.
15. Неопределенность оценок магнитуд согласно зависимости (4) настоящего приложения и аналитическому соотношению (1) (раздел V настоящего Руководства по безопасности) определяется особенностями учета геометрических размеров очагов землетрясений и ее рекомендуется, как и нелинейность графиков повторяемости магнитуд, учитывать при оценке сейсмической опасности.
16. При сравнении прогнозных пределов графиков повторяемости, приведенных к одному году и рассчитанных для территории района и площадки размещения ОИАЭ (принятой в качестве единичной площади), с наблюденными графиками повторяемости, рассчитанными для территории наблюдения площадью Sнаб (км2), последние рекомендуется также приводить к одному году и единичной площади с учетом отношения площади территории района и площадки размещения ОИАЭ к площади наблюдения землетрясений.
17. При оценке наблюденных графиков повторяемости важно учитывать период представительности наблюдений для разных диапазонов магнитуд, исторических и инструментальных данных о землетрясениях района, включая палеоземлетрясения, и радиус представительности регистрации землетрясений и микроземлетрясений для разных диапазонов магнитуд, устанавливаемый для используемой системы сейсмического мониторинга.
Приложение N 7
к руководству по безопасности
при использовании атомной энергии
"Оценка исходной сейсмичности района
и площадки размещения объекта
использования атомной энергии
при инженерных изысканиях
и исследованиях", утвержденному
приказом Федеральной службы
по экологическому, технологическому
и атомному надзору
от "__" __________ 20__ г. N ____
УТОЧНЕНИЕ РЕГИОНАЛЬНЫХ ОЦЕНОК Mmax ДЛЯ ПЛОЩАДКИ АТОМНОЙ ЭЛЕКТРИЧЕСКОЙ СТАНЦИИ (НА ПРИМЕРЕ КАЛИНИНСКОЙ АЭС)
В настоящее время имеется мало сведений об исторических и инструментальных данных о землетрясениях на территории Восточно-Европейской Платформы. Поэтому основное внимание при обосновании безопасного размещения и эксплуатации ОИАЭ, как правило, направлено на анализ геодинамических условий с целью выделения зон ВОЗ и оценки их максимального сейсмического потенциала Mmax на основании геодинамических и сейсмотектонических данных.
Выявление и локализация потенциальных зон ВОЗ в пределах Восточно-Европейской Платформы, как правило, сводится к выделению активных разломов и геодинамических зон, активных на неотектоническом, четвертичном и современном этапах геологического развития, которым кроме тектонической активности приписывают и сейсмическую активность.
К активным разломам относят структуры, для которых установлены подвижки (выход очага) на поверхности Земли за последний 1 млн. лет. К геодинамическим зонам относят межблоковые границы разного порядка, для которых установлены неотектонические, четвертичные или современные движения и/или очаги землетрясений по инструментальным и историческим данным, включая микроземлетрясения и палеоземлетрясения.
На основе результатов ОСР выделяют квазиоднородные блоки земной коры (домены) и региональные межблоковые зоны (линеаменты), для которых оценивают тектоническую активность на неотектоническом этапе геологического развития и принимают величину Mmax. Согласно ЛДФ-модели региональных зон ВОЗ ОСР-97 площадка Калининской АЭС расположена в пределах домена с Mmax = 3, 5 - 4, 0 и зоны сейсмичности для уровня МРЗ - 5 баллов по шкале MSK-64 на средних грунтах.
Результаты ОСР, в силу недостаточной детальности исследований, не позволяют обосновать безопасное размещение площадки ОИАЭ в пределах тектонического блока, не нарушенного геодинамическими зонами и активными разломами - потенциальными зонами ВОЗ.
Для обоснования безопасного размещения и эксплуатации Калининской АЭС выполнены следующие инженерные изыскания и исследования.
1. ДСР района для выявления и оценки характеристик зон ВОЗ района размещения Калининской АЭС
В рамках проведения ДСР района:
установлено отсутствие активных разломов;
выявлены геодинамические зоны - потенциальные зоны ВОЗ, для которых установлены протяженность и долговременный градиент скорости неотектонических, четвертичных и современных движений;
параметры сейсмического режима (сейсмическая активность, угол наклона графика повторяемости, максимальная магнитуда для представительного диапазона магнитуд землетрясений) не были определены из-за отсутствия представительных данных о землетрясениях;
максимальный сейсмический потенциал Mmax землетрясения для геодинамических зон (потенциальных зон ВОЗ) определен на основании совместного анализа геодинамических и сейсмотектонических данных.
2. Оценка сейсмичности площадки по результатам ДСР района
Для уточнения тектонических и сейсмических условий района размещения Калининской АЭС выполнен комплекс геолого-геофизических исследований (масштаб 1:500 000), включая: детальные дистанционные исследования, морфоструктурный анализ, геодинамические и сейсмологические изыскания. В районе размещения Калининской АЭС при проведении детальных инженерных изысканий и исследований не установлено активных разломов, выходящих на поверхность Земли, но выявлены активизированные за последние 1, 5 млн. лет геодинамические зоны. На этих геодинамических зонах установлены деформации поверхностных отложений (интенсивное развитие оврагов, суффозионно-карстовые и др. процессы), интенсивное развитие гидродинамики подземных вод, а также протяженность и ширина зон, разница амплитуд вертикальных движений сопрягающихся блоков, период последней активизации, связь с кристаллическим фундаментом и осадочным чехлом. Принято, что с этими активизированными геодинамическими зонами предположительно могут быть генетически связаны очаги землетрясений, что позволяет рассматривать активизированные в четвертичное время геодинамические зоны в качестве потенциальных зон ВОЗ.
С учетом результатов ДСР района размещения площадки Калининской АЭС были определены магнитуды потенциальных очагов землетрясений в районе и на площадке Калининской АЭС на основании характеристик геодинамических зон и сейсмотектонических и тектонических деформаций. Геодинамические зоны - потенциальные зоны ВОЗ XIII порядка и более, выявленные в районе размещения Калининской АЭС, представлены на рис. 1 настоящего приложения. Некоторые параметры выделенных в районе размещения Калининской АЭС геодинамических зон (потенциальных зон ВОЗ) приведены в таблице N 1 настоящего приложения. Для потенциальных зон ВОЗ района размещения Калининской АЭС установлен диапазон изменения Mmax от 3, 5 до 5, 2. При этом интенсивность на средних грунтах без учета повторяемости землетрясений может изменяться от 5 до 7 баллов по шкале MSK-64. Согласно полученным данным, площадка Калининской АЭС расположена в пределах квазиоднородных блоков земной коры XIII порядка и более в зоне, сейсмичность которой равна 5 баллам по шкале MSK-64 на средних грунтах.
Зоны максимальной сейсмичности района размещения площадки Калининской АЭС в баллах по шкале MSK-64 представлены на рис. 2 настоящего приложения.
Полученные результаты указывают на возможность увеличения уровня сейсмичности района, установленной согласно карте ОСР-97-D. Детальность исследований в масштабе ДСР не позволила выявить местные и локальные зоны ВОЗ и обосновать размещение площадки в пределах тектонического блока, не нарушенного активными разломами и геодинамическими зонами. Это потребовало проведения более детального уточнения геодинамических и сейсмических условий ближнего района (пункта) размещения Калининской АЭС с целью выявления и определения характеристик ближайших к площадке местных и локальных зон ВОЗ. Повышение детальности инженерных изысканий и исследований позволяет обосновать безопасное размещение площадки в пределах тектонического блока, не нарушенного геодинамическими зонами и активными разломами, оценить Mmax и повторяемость землетрясений в зонах ВОЗ, а также обосновать безопасность размещения с учетом удаления очагов землетрясений от площадки. Эти данные являются исходными данными для последующего вероятностного анализа безопасности зданий, сооружений, систем и элементов АЭС при землетрясениях.
3. Уточнение региональных оценок Mmax для площадки Калининской АЭС
Для уточнения тектонических и сейсмических условий ближнего района (масштаб 1:50 000) также выполнены детальные дистанционные исследования, морфоструктурный анализ и использованы результаты геодинамических и сейсмологических исследований. В результате исследований ближнего района установлены протяженность и ширина геодинамических зон, разница амплитуд вертикальных движений сопрягающихся блоков, период последней активизации, связь с кристаллическим фундаментом и осадочным чехлом.
При оценке Mmax геодинамических зон - потенциальных зон ВОЗ ближнего района размещения площадки Калининской АЭС - использована упомянутая выше методика. Схема потенциальных зон ВОЗ ближнего района Калининской АЭС представлена на рис. 3 настоящего приложения. Зоны максимальной сейсмичности ближнего района (пункта) размещения площадки Калининской АЭС в баллах по шкале MSK-64 представлены на рис. 4 настоящего приложения.
В результате проведения детальных инженерных изысканий и исследований ближнего района (пункта) установлено, что в пределах зон ВОЗ ближнего района магнитуда изменяется от 3, 5 (ближайшие к площадке зоны) до 5 (более удаленные зоны), а сейсмичность района - от 5 до 7 баллов на средних грунтах (рис. 2 настоящего приложения). Рекомендуется иметь в виду, что проведение более детальных исследований ближнего района (пункта) не только позволило уточнить положение и характеристики уже известных зон ВОЗ, но и дополнительно выявить в пределах квазиоднородного блока потенциальную зону ВОЗ, не установленную при проведении инженерных изысканий и исследований района.
Основные результаты работ по ДСР района (масштаб 1:500 000) и ДСР ближнего района (пункта) (масштаб 1:50 000), проведенные с целью оценки исходной сейсмичности района Калининской АЭС, представлены на рис. 1 - 4 и в таблице N 1 настоящего приложения. Полученные новые данные позволили:
устранить противоречия результатов региональных методов выделения потенциальных зон ВОЗ и оценки Mmax для района и площадки размещения Калининской АЭС;
детализировать результаты региональных исследований при ОСР;
выявить участки, благоприятные и менее благоприятные для размещения АЭС;
оценить исходную сейсмичность района размещения Калининской АЭС и показать, что она не противоречит принятой в проекте.
Недостатком работ по оценке исходной сейсмичности района и площадки при инженерных изысканиях и исследованиях, согласно рекомендациям РБ-019-01, оказалась невозможность оценки повторяемости максимальных землетрясений из-за отсутствия статистически представительных данных о землетрясениях.
Это определило актуальность включения в настоящее Руководство по безопасности рекомендаций по оценке величины и повторяемости Mmax, прогнозных пределов и прогнозных графиков повторяемости землетрясений по геодинамическим и сейсмотектоническим данным с учетом статистически не представительных, но достоверных сейсмологических данных о землетрясениях.
4. Оценка прогнозных графиков повторяемости землетрясений в районе размещения Калининской АЭС
Прогнозные пределы графиков повторяемости землетрясений рассчитаны на основе модели, отражающей дискретные свойства земной коры, структуры зон ВОЗ и диапазона изменения скорости деформации (градиента скорости четвертичных тектонических движений) в районе размещения площадки Калининской АЭС. Исходные данные о структуре и параметрах геодинамических зон (потенциальных зон ВОЗ) приняты по результатам инженерных изысканий и исследований рассматриваемой территории. Достоверность оценки прогнозных графиков повторяемости магнитуд, рассчитанных с учетом сейсмотектонических данных, контролируется имеющимся (статистически не представительным, но достоверным) каталогом землетрясений, представленным в материалах ООБ.
1) В качестве единичной площади принята площадь района размещения Калининской АЭС. На основании результатов дистанционных исследований и морфоструктурного анализа в рассматриваемом районе выделены геодинамические зоны, масштабность и структура которых позволили в качестве основных параметров модели, отражающей дискретные свойства земной коры, потенциальных зон ВОЗ и очагов землетрясений, принять размер максимального элемента модели L1 = 1 000 км и коэффициент подобия kп ~ 3, 162.
С учетом данных о скорости деформации (градиента скорости четвертичных движений) геодинамических зон (потенциальных зон ВОЗ) районов размещения Калининской и Тверской АЭС приняты минимальная скорость деформации Gмин = 1 · 10-10 (в год) и максимальная скорость деформации Gmax = 2, 5 · 10-8 (в год).
2) Рассмотрены два вида деформации: всесторонняя для района в целом и одноосная для зон ВОЗ. Всесторонняя деформация связана с глобальными изменениями площади рассматриваемой территории, что приводит к всестороннему растяжению или сжатию земной коры рассматриваемого района. Одноосная деформация, как правило, связана с наличием региональных и локальных напряжений и определяет условия деформирования в пределах геодинамических зон - потенциальных зон ВОЗ. При всесторонней деформации в процесс деформирования вовлекаются все геодинамические зоны (элементы модели), а при одноосной деформации - лишь часть зон (элементов модели). Это рекомендуется учитывать при оценке количества активизированных структур в зависимости от условий деформирования, при оценке прогнозных кривых фрактальности и в конечном итоге при оценке прогнозных пределов и прогнозных графиков повторяемости магнитуд землетрясений.
3) Соответствие прогнозной кривой фрактальности модели (линия "1" рис. 5 настоящего приложения) и кривых фрактальности геодинамических зон районов размещения Калининской и Тверской АЭС (линии "3" и "4" рис. 5 настоящего приложения), приведенных к одному году, указывает на возможность использования модели для формализованной оценки прогнозных пределов графиков повторяемости магнитуд. Кривые фрактальности геодинамических зон получены на основании материалов инженерных изысканий и исследований района размещения Тверской АЭС (линия "3") и района размещения Калининской АЭС (линия "4"). Здесь же представлена кривая фрактальности элементов модели для условий одноосного деформирования (линия "2" рис. 5 настоящего приложения).
4) Интенсивность иерархического процесса структурообразования элементов модели - кривых фрактальности для условий всестороннего и одноосного деформирования - послужили основой для оценки прогнозных пределов графиков повторяемости магнитуд (таблица N 3, рис. 5 настоящего приложения) для разных условий разрушения в очаге согласно рекомендациям разделов V и VII настоящего Руководства по безопасности.
5) Достоверность прогнозных пределов графиков повторяемости магнитуд подтверждается наблюденным графиком повторяемости магнитуд, рассчитанным на основе выборки данных каталога исторических землетрясений за период наблюдений 536 лет. Каталог отражает весьма низкую сейсмическую активность рассматриваемой территории и включает всего восемь сейсмических событий с магнитудой от 2, 3 до 3, 9. Каталог статистически не представителен. К достоверным событиям можно отнести лишь четыре события с магнитудой от 3, 4 до 3, 9, что рекомендуется учитывать при оценке соответствия прогнозных и наблюденных данных о повторяемости землетрясений.
График повторяемости ("8" на рис. 5 настоящего приложения), оцененный с учетом исторических данных о землетрясениях, контролируется линией "7", соответствующей условиям одноосного деформирования при эффективном упругом пределе 3 · 10-5. Наблюденные данные отражают эффект выполаживания графиков повторяемости, учитываемый при ОСР-97 и приводящий к существенному увеличению сейсмической опасности. Достоверно природа эффекта выполаживания графиков повторяемости в настоящее время не известна. Полученные результаты позволяют предполагать, что этот эффект обусловлен переходом от условий всестороннего деформирования территории района к одноосному деформированию зон ВОЗ, подготовкой и проявлением землетрясений в пределах геодинамических зон (потенциальных зон ВОЗ), что подтверждается и структурной приуроченностью очагов землетрясений к геодинамическим зонам разного порядка.
6) Не менее важной при оценке сейсмической опасности является прогнозная линия "6" (рис. 5 настоящего приложения), которая ограничивает параметры графиков повторяемости справа в области больших магнитуд. Данный подход позволяет избежать физически необоснованных оценок Mmax в области редких событий с учетом характеристик выположенного фрагмента графика повторяемости ("8"). Обоснованность этого иллюстрируется результатами оценки Mmax палеоземлетрясений, полученными с учетом преобладающих размеров геодинамических зон района размещения Тверской АЭС (линия "9") и Калининской АЭС (линия "10"). Результаты представлены на рис. 5 настоящего приложения и отражают условия проявления максимальных землетрясений на максимальных структурах рассматриваемого района при достижении хрупко-пластического предела в очаге. В будущем нельзя исключать возможность возникновения подобных событий в случае изменения условий деформирования и напряженно-деформированного состояния среды.
7) Прогнозные пределы (линии "5", "6" и "7" рис. 5 настоящего приложения) отражают нелинейность графика повторяемости в области редких сильных землетрясений. При проведении вероятностного анализа рекомендуется использовать линию "5", которая отражает упругое деформирование и хрупкое разрушение в условиях всестороннего сжатия/растяжения и нелинейный график, который включает фрагменты: линию "5" (левая ветвь графика), линию "7" (выположенный участок графика) и линию "6" (правая ветвь графика). Правая ветвь графика (линия "6") характеризует насыщение энергией очаговой области сильных землетрясений при стремлении размера очага к 1 000 км с учетом сближения упругого и хрупко-пластического пределов. Сформированные таким образом два графика повторяемости магнитуд (линейный и нелинейный) могут быть рекомендованы для оценки кривых сейсмической опасности, выраженных в баллах по шкале MSK-64, максимальных ускорениях или других динамических параметрах сейсмических воздействий. Кривые сейсмической опасности, полученные на основании геодинамических данных, рекомендуется использовать при проведении вероятностного обоснования безопасности ОИАЭ, в том числе и для прогноза возможного изменения геодинамических и сейсмических условий размещения ОИАЭ.
8) Оценки кривых долговременной и текущей сейсмической опасности отражают степень неоднозначности оценок сейсмической опасности. Эти оценки неоднозначности определения неопределенностей, связанных с недостаточным знанием природы сейсмического процесса, рекомендуется учитывать при размещении и проектировании, а также при построении логического дерева для проведения вероятностного анализа безопасности и проведении охранных мониторинговых геодинамических и сейсмологических наблюдений при эксплуатации и выводе из эксплуатации Калининской АЭС.

Рис. 1. Геодинамические условия района размещения площадки Калининской АЭС. Фрагмент схемы геодинамически активных зон района размещения площадки Калининской АЭС. Масштаб 1:500 000

Рис. 2. Сейсмические условия района размещения площадки Калининской АЭС. Фрагмент схемы ДСР района размещения площадки Калининской АЭС. Масштаб 1:500 000

Рис. 3. Результаты уточнения геодинамических условий ближнего района размещения Калининской АЭС. Фрагмент схемы геодинамически активных зон ближнего района размещения Калининской АЭС. Масштаб 1:50 000

Рис. 4. Результаты уточнения сейсмических условий ближнего района размещения Калининской АЭС. Фрагмент схемы ДСР ближнего района размещения Калининской АЭС. Масштаб 1:50 000
Таблица N 1
Параметры геодинамически активных зон района размещения Калининской АЭС и оценки Mmax
|
N зоны |
Протяженность зоны, км |
Ширина зоны, м |
Порядок зоны |
Амплитуда вертикальных движений, м |
Градиент вертикальных движений, (1/год) 10-10 |
Ранг зоны ВОЗ |
Mmax, (4)* |
Mmax, (5)* |
Mmax, (17)* |
Mmax, (18)* |
Принятое Mmax |
|
1. |
45/- |
5 000 |
XIII |
20 - 30 |
28, 6 - 42, 9 |
5 - 6 |
4, 4 |
3, 9 |
4, 4 |
3, 6 |
4, 0 - 4, 5 |
|
2. |
70/70 |
3 000 |
XIV |
20 - 30 |
47, 6 - 71, 4 |
5 - 6 |
4, 7 |
4, 2 |
4, 8 |
4, 0 |
4, 5 - 5, 0 |
|
3. |
50/100 |
5 000 |
XIII |
до 10 |
< 14, 3 |
5 - 6 |
4, 5 |
3, 9 |
4, 5 |
3, 7 |
3, 5 - 4, 0 |
|
4. |
250/- |
4 000 |
XV |
20 - 30 |
35, 7 - 53, 6 |
4 - 5 |
5, 7 |
5, 0 |
5, 8 |
5, 0 |
4, 5 - 5, 0 |
|
5. |
70/70 |
5 000 |
XIV |
20 - 30 |
28, 6 - 42, 9 |
5 - 6 |
4, 7 |
4, 2 |
4, 8 |
4, 0 |
4, 5 |
|
6. |
80/80 |
3 000 |
XIV |
20 - 30 |
47, 6 - 71, 4 |
5 - 6 |
4, 8 |
4, 3 |
4, 9 |
4, 1 |
4, 5 - 5, 0 |
|
7. |
200/200 |
5 000 |
XV |
20 - 30 |
28, 6 - 42, 9 |
4 - 5 |
5, 5 |
4, 9 |
5, 6 |
4, 8 |
4, 5 |
|
8. |
100/100 |
5 000 |
XIV |
> 40 |
> 57, 1 |
5 |
5, 0 |
4, 4 |
5, 0 |
4, 3 |
5, 0 |
|
9. |
200/250 |
5 000 |
XV |
> 40 |
> 57, 1 |
4 - 5 |
5, 5 |
4, 9 |
5, 6 |
4, 8 |
5, 0 |
|
10. |
30/30 |
4 000 |
XIII |
20 - 30 |
35, 7 - 53, 6 |
6 |
4, 1 |
3, 6 |
4, 1 |
3, 3 |
4, 0 - 4, 5 |
|
11. |
250/250 |
4 000 |
XV |
20 - 30 |
35, 7 - 53, 6 |
4 - 5 |
5, 7 |
5, 0 |
5, 8 |
5, 0 |
4, 5 - 5, 0 |
|
12. |
40/250 |
5 000 |
XIII |
20 - 30 |
28, 6 - 42, 6 |
4 - 6 |
4, 3 |
3, 8 |
4, 3 |
3, 5 |
4, 5 |
|
13. |
75/- |
6 000 |
XIV |
20 - 30 |
23, 8 - 35, 7 |
5 - 6 |
4, 8 |
4, 2 |
4, 8 |
4, 0 |
4, 5 |
|
14. |
175/175 |
4 000 |
XV |
20 - 30 |
35, 7 - 53, 6 |
4 - 5 |
5, 4 |
4, 8 |
5, 5 |
4, 7 |
4, 5 - 5, 0 |
|
15. |
175/175 |
5 000 |
XV |
> 40 |
> 57, 1 |
4 - 5 |
5, 4 |
4, 8 |
5, 5 |
4, 7 |
5, 0 |
|
16. |
100/100 |
4 000 |
XIV |
20 - 30 |
35, 7 - 53, 6 |
5 |
5, 0 |
4, 4 |
5, 0 |
4, 3 |
4, 5 - 5, 0 |
|
17. |
> 250/> 350 |
4 000 |
> XV |
20 - 30 |
35, 7 - 53, 6 |
3 - 4 |
5, 7 |
5, 0 |
5, 8 |
5, 0 |
4, 5 - 5, 0 |
|
18. |
> 170/> 300 |
4 000 |
> XIV |
> 40 |
> 71, 7 |
3 - 4 |
5, 4 |
4, 7 |
5, 5 |
4, 7 |
5, 0 |
|
19. |
50/125 |
3 000 |
XIII |
20 - 30 |
44, 6 - 71, 4 |
4 - 6 |
4, 5 |
3, 9 |
4, 5 |
3, 7 |
5, 0 |
|
20. |
250/250 |
4 000 |
XV |
20 - 30 |
35, 7 - 53, 6 |
4 - 5 |
5, 7 |
5, 0 |
5, 8 |
5, 0 |
4, 5 - 5, 0 |
Примечания:
1) Номер зоны соответствует номеру зоны на рис. 1 и 3.
2) Значения Mmax вычислены без учета повторяемости землетрясений по формулам: (4)* Mmax = 1, 8lg L + 1, 4; (5)* Mmax = 1, 5lg L + 1, 4; (17)* Mmax = 1, 87lg L + 1, 3; (18)* Mmax=0, 54+1, 871lgL±Kσ, где L - длина зоны, км; σ - стандартное отклонение; K - коэффициент для оценки Mmax для заданной обеспеченности.
3) Меньшие принятые значения Mmax (последний абзац настоящей таблицы) соответствуют протяженности активной части зоны, а большие - полной протяженности зоны с учетом ее слабоактивизированной части. Mmax=0, 54+1, 871lgL±Kσ
Таблица N 2
Повторяемость магнитуд Mmax землетрясений в зонах ВОЗ в зависимости от протяженности, условий всестороннего деформирования и характера разрушения в очаге
|
Согласно приложению N 3 к настоящему Руководству по безопасности |
Ранг элементов модели |
Десятичный логарифм длины элемента модели L (км) |
Суммарное количество элементов модели ранга n и более до n = 1 включительно |
Десятичный логарифм частоты активизации зон ВОЗ ранга n и более до n = 1 включительно |
Максимальная магнитуда Mmax при деформации в очаге, равной эффективному упругому пределу для Земли в целом |
Наиболее вероятная магнитуда Mв при хрупко-пластическом разрушении в очаге | |
|
Порядок |
Ранг | ||||||
|
XI |
8 |
6 |
0, 5 |
111111 |
-2, 0 |
3, 3 |
5, 0 |
|
XII |
7 |
5 |
1, 0 |
11111 |
-3, 0 |
4, 0 |
5, 5 |
|
XIII |
6 |
4 |
1, 5 |
1111 |
-4, 0 |
4, 8 |
6, 0 |
|
XIV |
5 |
3 |
2, 0 |
111 |
-5, 0 |
5, 5 |
6, 5 |
|
XV |
4 |
2 |
2, 5 |
11 |
-6, 0 |
6, 3 |
7, 0 |
|
XVI |
3 |
1 |
3, 0 |
1 |
-7, 0 |
7, 0 |
7, 5 |
Примечание. Оценки получены с учетом соотношения эффективного размера Lо очага и протяженности Lз зоны ВОЗ, Lо/Lз = 1/10.
Таблица N 3
Повторяемость магнитуд Mmax землетрясений в зонах ВОЗ в зависимости от протяженности, условий одноосного деформирования и характера разрушения в очаге
|
Согласно приложению N 3 к настоящему Руководству по безопасности |
Ранг элементов модели |
Десятичный логарифм длины элемента модели L (км) |
Суммарное количество элементов модели ранга n и более до n = 1 включительно |
Десятичный логарифм частоты активизации зон ВОЗ ранга n и более до n = 1 включительно |
Максимальная магнитуда Mmax при деформации в очаге, равной эффективному упругому пределу для Земли в целом | |
|
Порядок |
Ранг | |||||
|
XI |
8 |
6 |
0, 5 |
462 |
-1, 9 |
3, 3 |
|
XII |
7 |
5 |
1, 0 |
146 |
-2, 4 |
4, 0 |
|
XIII |
6 |
4 |
1, 5 |
46 |
-2, 9 |
4, 8 |
|
XIV |
5 |
3 |
2, 0 |
14 |
-3, 5 |
5, 5 |
|
XV |
4 |
2 |
2, 5 |
4 |
-4, 0 |
6, 3 |
|
XVI |
3 |
1 |
3, 0 |
1 |
-4, 6 |
7, 0 |
Примечание. Оценки получены с учетом соотношения эффективного размера Lо очага и протяженности Lз зоны ВОЗ, Lо/Lз = 1/10.

Рис. 5. Сравнение прогнозных графиков повторяемости магнитуд, рассчитанных согласно принятой модели, и наблюденных графиков повторяемости магнитуд, рассчитанных согласно каталогу исторических землетрясений
Примечание. По оси абсцисс отложены десятичные логарифмы длин зон ВОЗ и моментные магнитуды M, рассчитанные для плоской и линейной модели при всестороннем и одноосном сжатии соответственно с учетом протяженности зоны ВОЗ Lз, соотношения протяженности зоны ВОЗ с размером максимального очага, приуроченного к зоне ВОЗ, условий и скорости деформирования. По оси ординат отложено количество активизированных структур ранга n и более (до n = 1 включительно), в год.


